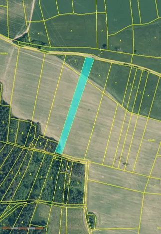
Prodej pole, Kovčín, 60542 m2

Kovčín

2 300 596 Kč
/za nemovitost
Hypotéka od 10 282 Kč /měs. Chci hypotéku

Parametry pozemku

AdresaKovčín
ID1997
Plocha pozemku60542 m2

Origo partneři v Kovčíně

Podlahy

Stěhovací služby

Popis

Nabízíme k prodeji zemědělské pozemky o celkové výměře 60.542m2 (6,05 ha). Pozemky se nachází v katastrálním území Milčice na listu vlastnictví č. 415 a katastrálním území Kovčín na listu vlastnictví č. 175. Pozemky jsou propachtované místní firmě do konce zemědělského roku 2028. za pachtovné ve výši 2.000,-Kč/ha/rok. Pozemky jsou využívané jako orná půda a část pozemků je využívána jako trvalý travní porost.

Doporučujeme jako jako vhodné uložení peněz.

Makléř

Máte zájem o tento pozemek?

Tímto, v souladu s nařízením Evropského parlamentu a Rady (EU) 2016/679, v platném znění, prohlašuji, že mi je alespoň 16 let a uděluji tak svůj souhlas se zpracováním zadaných údajů (jméno, telefon, e-mail, ip adresa) společnosti B3 Technology, s.r.o., IČ: 07330600, se sídlem Novostavby 126/23, 435 11 Lom (správce dat), za účelem předání dotazu z tohoto formuláře Vámi vybranému inzerentovi a zpětného kontaktování mé osoby. Osobní údaje bude správce zpracovávat manuálně i automaticky přímo prostřednictvím svých zaměstnanců. Informace předané tímto formulářem budou uloženy v databázi správce maximálně po dobu 10 let. Odvolání souhlasu s uložením a zpracováním poskytnutých dat lze e-mailem na info@origo-reality.cz. V případě podezření na neoprávněné použití Vámi poskytnutých údajů máte právo předat podnět k šetření Úřadu pro ochranu osobních údajů. Více informací
Chystáte se prodat nemovitost?
Pomůžeme Vám!

Přihlášení k odběru

Nenechte si ujít nejnovější nabídky prodeje polí v Kovčíně.