Prodej lesa, Býšť, 3807 m2

Býšť

430 000 Kč
/za nemovitost
Hypotéka od 1 922 Kč /měs. Chci hypotéku

Parametry pozemku

AdresaBýšť
ID939514
Stav objektuDobrý
VybavenoNe
Lokalita objektuOkraj obce
VlastnictvíOsobní
Plocha pozemku3807 m2

Origo partneři v Býšti

Popis

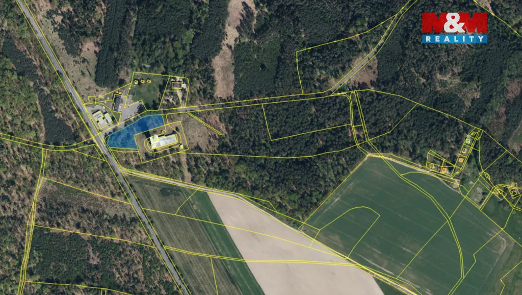
Nabízíme k prodeji lesní pozemek o výměře 3807 m2 v katastrálním území Býšť. Pozemek je přístupný z hlavního tahu Hradec Králové / Holice, přímo naproti motorestu Koliba a benzinové stanici, na křižovatce cyklostezky z Nového Hradce Králové do Hoděšovic. Pozemek je velmi dobře a rychle dostupný z obou měst. Nachází se přímo u autobusové zastávky směr Pardubice/Holice a Dašice/Hradec Králové. Jeho budoucí využití bude již na Vás.

Zaujala Vás tato nabídka? Neváhejte nás kontaktovat pro více informací.

Makléř

Máte zájem o tento pozemek?

Tímto, v souladu s nařízením Evropského parlamentu a Rady (EU) 2016/679, v platném znění, prohlašuji, že mi je alespoň 16 let a uděluji tak svůj souhlas se zpracováním zadaných údajů (jméno, telefon, e-mail, ip adresa) společnosti B3 Technology, s.r.o., IČ: 07330600, se sídlem Novostavby 126/23, 435 11 Lom (správce dat), za účelem předání dotazu z tohoto formuláře Vámi vybranému inzerentovi a zpětného kontaktování mé osoby. Osobní údaje bude správce zpracovávat manuálně i automaticky přímo prostřednictvím svých zaměstnanců. Informace předané tímto formulářem budou uloženy v databázi správce maximálně po dobu 10 let. Odvolání souhlasu s uložením a zpracováním poskytnutých dat lze e-mailem na info@origo-reality.cz. V případě podezření na neoprávněné použití Vámi poskytnutých údajů máte právo předat podnět k šetření Úřadu pro ochranu osobních údajů. Více informací
Chystáte se prodat nemovitost?
Pomůžeme Vám!

Přihlášení k odběru

Nenechte si ujít nejnovější nabídky prodeje lesů v Býšti.