Prodej rodinného domu, Jaroměř - Josefov, Rumunská, 150 m2 (ID: 2019512)

Rumunská, Josefov

8 999 000 Kč
/za nemovitost
Kupní cena vč. provize RK a právního servisu.
Hypotéka od 40 220 Kč /měs. Chci hypotéku

Parametry domu

AdresaRumunská, Josefov
IDMOL26176
StavbaCihlová
Stav objektuPo rekonstrukci
VybavenoČástečně
Typ objektuPatrový
Druh objektuSamostatný
Užitná plocha150 m2
Podlahová plocha150 m2
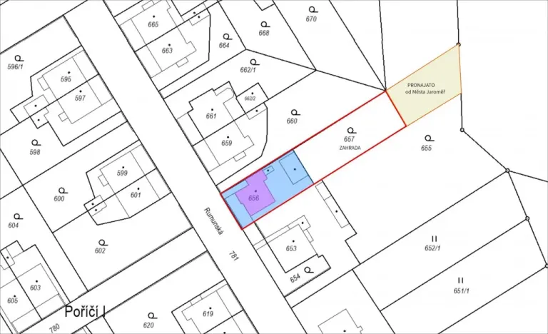
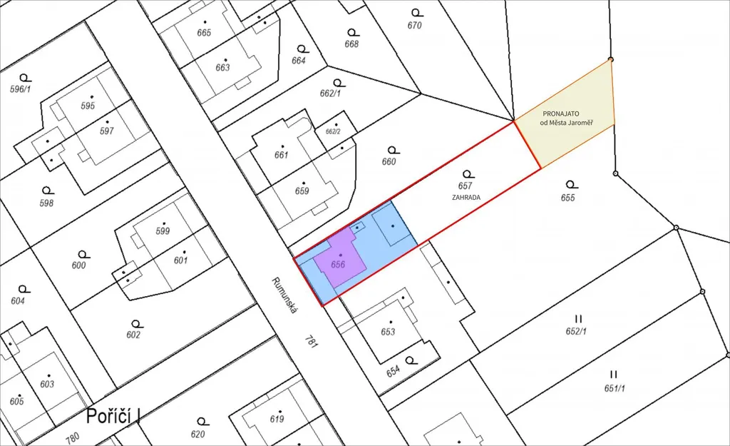
Plocha pozemku664 m2
Plocha zahrady375 m2
Třída energetické náročnostiG - Mimořádně nehospodárná
Elektřina230V
PlynPlynovod
OdpadVeřejná kanalizace, Septik
TopeníÚstřední plynové, Ústřední tuhá paliva
KomunikaceZpevněná, Asfaltová, Betonová, Dlážděná
TelekomunikaceInternet
DopravaVlak, Silnice, Autobus
VodaVodovod
Topné tělesoPodlahové vytápění, Radiátory, Krbová kamna
Zdroj topeníPlynový kondenzační kotel, Krbová kamna
Zdroj teplé vodyPlynový kondenzační kotel
Balkon
Sklep
Bezbarierový přístup
Parkování

Origo partneři v Jaroměři

Pojištění a finance

Popis

AKTUALIZACE CENY - dům k bydlení bez dalších investic

Pokud hledáte rodinný dům v Jaroměři, tak si, prosím, prohlédněte naši nabídku prodeje domu se zdařilou rekonstrukcí. Co je pro Vás komfortní? 2 koupelny, 2 ložnice a impozantní moderní kuchyně propojená s obývacím pokojem.
Dům ve vilové čtvrti v Rumunské ulici má v blízkosti veškerou občanskou vybavenost, a ze zahrady nabízí výhled na louky v okolí. Poloha domu je ideální, neboť se nachází v klidné lokalitě, ale i přes to máte na dosah školu, školku, obchody, úřady, supermarkety, lékaře, kulturu i hřiště. Milovníci přírody zde naleznou start pro své aktivity. Parkovat můžete na ulici před domem.

Dům prošel nákladnou a velmi zdařilou rekonstrukcí v roce 2021. V domě jsou provedeny nové rozvody topení, vody, elektřiny, odpadů, nová je střecha i komín, veranda. Nemovitost má nový nástřik fasády a zateplenou praktickou verandu.

Obytná část má výměru 110 m2. Dispozice: přízemí domu - veranda, chodba, obývací pokoj s kuchyní, 1. ložnice, koupelna s podlahovým topením, se sprchovým koutem a toaletou, schodištěm v chodbě vejdete do 2. NP, kde je vstup na balkon, koupelna s vanou a toaletou, dětský pokoj, 2. ložnice, technická místnost a šatna. Příjemná je nově zateplená veranda o výměře 6 m2.

Výměra nebytových prostor v suterénu vhodných pro úpravu letní kuchyně, pokoje pro hosty, kanceláře nebo dalšího bytu činí 40 m2, můžete využít jako sklep, sklad nebo letní kuchyňku, pokoj pro hosty atd. Zde se nachází také technická místnost - elektrický bojler pro koupelnu v přízemí a plynový kotel, domovní vodoměr (pro obecní vodu).

Majitelé využili prostory před domem, které jsou vytvořeny zahradní architektkou. Je zde pergola pro posezení a grilování, schody na zahradu, dále pískoviště pro děti, vysazené vysoké i malé traviny.

Zahrada: výměra zahrady, kam se dostanete také přes verandu po zadních schodech činí 375 m2, Dlouhodobě využívaná je i zadní část zahrady (na fotografii s trampolínou), která je pronajata od města. Na zahradě je zděná kolna s dílnou a skladem a zastřešený dřevník. Zahrada je dostatečně velká a jsou zde rodící ovocné stromy (švestka, jabloně, třešně, višeň, broskvoň).

Odpady jsou nové a jsou svedeny do veřejné kanalizace. Vytápění v domě je možné jak plynovým kotlem s rozvodem po celém domě vč. suterénu nebo lze topit dřevem s automatickým přepínáním na plyn. Nová je také střecha z plechových šablon Blachotrapez. Střecha je izolovaná. Dům má plastová okna s dvojskly.

Výdaje spojené s užíváním nemovitosti: elektřina 2000-3000 Kč měsíčně dle užívání spotřebičů, plyn 1000-3000 Kč měsíčně podle vytápění, při vytápění dřevem snížíte náklady na minimum, dále vodné, stočné cca 1000 Kč měsíčně. Dům je napojen na veřejnou kanalizaci, je zde také původní jímka, kterou lze zprovoznit např. pro suterénní byt. Na pozemku je kopaná studna na užitkovou vodu (užívá se pro plnění nádrže na zalévání zahrady.). PENB třída G, který byl vypracovaný před rekonstrukcí.

V případě zájmu o prohlídku mne neváhejte kontaktovat. Budu se na Vás těšit. Alena (Alenka Losová Molnárová - reality s Vaším úsměvem)

Makléř

Máte zájem o tento dům?

Tímto, v souladu s nařízením Evropského parlamentu a Rady (EU) 2016/679, v platném znění, prohlašuji, že mi je alespoň 16 let a uděluji tak svůj souhlas se zpracováním zadaných údajů (jméno, telefon, e-mail, ip adresa) společnosti B3 Technology, s.r.o., IČ: 07330600, se sídlem Novostavby 126/23, 435 11 Lom (správce dat), za účelem předání dotazu z tohoto formuláře Vámi vybranému inzerentovi a zpětného kontaktování mé osoby. Osobní údaje bude správce zpracovávat manuálně i automaticky přímo prostřednictvím svých zaměstnanců. Informace předané tímto formulářem budou uloženy v databázi správce maximálně po dobu 10 let. Odvolání souhlasu s uložením a zpracováním poskytnutých dat lze e-mailem na info@origo-reality.cz. V případě podezření na neoprávněné použití Vámi poskytnutých údajů máte právo předat podnět k šetření Úřadu pro ochranu osobních údajů. Více informací
Chystáte se prodat nemovitost?
Pomůžeme Vám!
Theleadway banner

Přihlášení k odběru

Nenechte si ujít nejnovější nabídky prodeje rodinných domů v Jaroměři.