Prodej pozemku pro bydlení, Lipoltice - Sovoluská Lhota, 1149 m2

Lipoltice, Sovoluská Lhota

2 298 000 Kč
/za nemovitost
Hypotéka od 10 271 Kč /měs. Chci hypotéku

Parametry pozemku

AdresaLipoltice, Sovoluská Lhota
IDJ12079
Lokalita objektuKlidná část obce
VlastnictvíOsobní
Podlahová plocha1149 m2
Plocha pozemku1149 m2
KomunikaceNeupravená

Origo partneři v Lipolticích

Popis

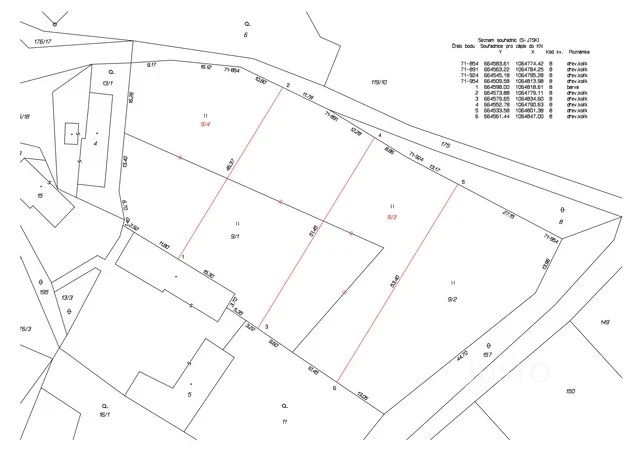
Ve výhradním zastoupení majitele nabízíme k prodeji atraktivní stavební pozemek o velikosti 1 149 m² v klidné části obce, Lipoltice, v části Sovoluská Lhota, poblíž obce Přelouč. Pozemek je součástí plánovaného rozdělení dvou parcel p.č.9/1 a 9/2, na kterých vzniknou čtyři samostatné parcely, každá o výměře přes 1 000 m². Tato nabídka je ideální volbou pro ty, kteří hledají dostatek prostoru pro výstavbu rodinného domu v příjemném a tichém prostředí.

Pozemek se nachází na okraji obce, v lokalitě s minimálním dopravním provozem. Okolí tvoří rozlehlá pole, louky a lesní celky, které zajišťují dostatek soukromí i možností pro relaxaci a volnočasové aktivity v přírodě.
Pozemek je v územním plánu veden jako plocha smíšená venkovská – obytná s hlavním využitím: plochy smíšeného využiti ve venkovských sídlech využívané zejména pro bydlení v rodinných domech (včetně domů a usedlostí s hospodářským zázemím), obslužnou sférou a nerušící výrobní činnosti.

V současnosti je pozemek bez přípojek s příjezdem po nezpevněné komunikaci, která je majetkem obce.

Sovoluská Lhota je typickou ukázkou klidného a bezpečného bydlení s výbornou dostupností do širšího okolí. V Přelouči jste za 9 minut a v Heřmanově Městci za 15 minut. Pardubice jsou vzdáleny pouhých 20 minut jízdy.

Pokud hledáte místo pro svůj nový domov v přírodě s výbornou dostupností města, je tato nabídka určena právě Vám. Pro více informací o této nemovitosti nebo sjednání prohlídky nás prosím kontaktujte

Makléř

Máte zájem o tento pozemek?

Tímto, v souladu s nařízením Evropského parlamentu a Rady (EU) 2016/679, v platném znění, prohlašuji, že mi je alespoň 16 let a uděluji tak svůj souhlas se zpracováním zadaných údajů (jméno, telefon, e-mail, ip adresa) společnosti B3 Technology, s.r.o., IČ: 07330600, se sídlem Novostavby 126/23, 435 11 Lom (správce dat), za účelem předání dotazu z tohoto formuláře Vámi vybranému inzerentovi a zpětného kontaktování mé osoby. Osobní údaje bude správce zpracovávat manuálně i automaticky přímo prostřednictvím svých zaměstnanců. Informace předané tímto formulářem budou uloženy v databázi správce maximálně po dobu 10 let. Odvolání souhlasu s uložením a zpracováním poskytnutých dat lze e-mailem na info@origo-reality.cz. V případě podezření na neoprávněné použití Vámi poskytnutých údajů máte právo předat podnět k šetření Úřadu pro ochranu osobních údajů. Více informací
Chystáte se prodat nemovitost?
Pomůžeme Vám!

Přihlášení k odběru

Nenechte si ujít nejnovější nabídky prodeje pozemků pro bydlení v Lipolticích.