Prodej komerčního pozemku, Jirkov, Studentská, 10103 m2 (ID: 1905047)

Studentská, Jirkov

Cena na vyžádání
/za metr čtvereční
Získejte výhodnou HYPOTÉKU Chci hypotéku

Parametry pozemku

AdresaStudentská, Jirkov
ID0518
Plocha pozemku10103 m2

Origo partneři v Jirkově

Okna a dveře

Rekonstrukce

Zámečnické práce

Popis

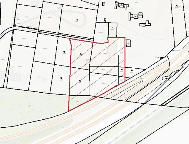
Pozemky k prodeji pro komerční využití o celkové výměře 10.103 m2 se nachází v obci a katastrálním území Otvice. Jsou přístupné ze silnice I/13, která spojuje Karlovarský, Ústecký a Liberecký kraj. Silnice začíná v Karlových Varech na křižovatce se silnicí I/6 a končí na hraničním přechodu s Polskem Habartice/Zawidóv. Pozemkem prochází zemí vedení vysokotlaké gravitační kanalizace, vedení ČEZ IT, CETIN, dále zemní vedení ČEZ VN. Rozvody pitné vody a plynu lze řešit. Pozemky mají skvělou pozici s ohledem na viditelnost a dostupnost z frekventované silnice I/13, jsou připraveny k okamžitému využití. Lze vybudovat sjezdy pro kamionovou dopravu. V těsné blízkosti se nachází obchodní centra (OBI, Baumax), společnosti zaměřené na skladování nebo výrobu. Pozemek se nachází podle územního plánu v ploše VL-V2 - výrobně skladovací. Hlavní využití je vymezeno pro areály lehké výroby. Jako přípustné využití lze uplatnit záměry: zpracovatelský průmysl, opravárenská a údržbářská zařízení, strojírenská, elektrotechnická, dřevozpracující, papírenská, textilní, potravinářská a tabáková výroba, výroba dopravních prostředků, čerpací stanice pohonných hmot, veděcká a výzkumná pracoviště, a další. Koeficient míry využití úemí KZP = 85.

Makléř

Máte zájem o tento pozemek?

Tímto, v souladu s nařízením Evropského parlamentu a Rady (EU) 2016/679, v platném znění, prohlašuji, že mi je alespoň 16 let a uděluji tak svůj souhlas se zpracováním zadaných údajů (jméno, telefon, e-mail, ip adresa) společnosti B3 Technology, s.r.o., IČ: 07330600, se sídlem Novostavby 126/23, 435 11 Lom (správce dat), za účelem předání dotazu z tohoto formuláře Vámi vybranému inzerentovi a zpětného kontaktování mé osoby. Osobní údaje bude správce zpracovávat manuálně i automaticky přímo prostřednictvím svých zaměstnanců. Informace předané tímto formulářem budou uloženy v databázi správce maximálně po dobu 10 let. Odvolání souhlasu s uložením a zpracováním poskytnutých dat lze e-mailem na info@origo-reality.cz. V případě podezření na neoprávněné použití Vámi poskytnutých údajů máte právo předat podnět k šetření Úřadu pro ochranu osobních údajů. Více informací
Chystáte se prodat nemovitost?
Pomůžeme Vám!

Přihlášení k odběru

Nenechte si ujít nejnovější nabídky prodeje komerčních pozemků v Jirkově.

Podobné nabídky