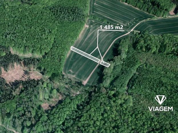
Prodej pole, Pačlavice, 1484 m2 (ID: 1833504)

Pačlavice, Lhota

60 410 Kč
/za nemovitost
Hypotéka od 270 Kč /měs. Chci hypotéku

Parametry pozemku

AdresaPačlavice, Lhota
ID15342
Plocha pozemku1484 m2

Origo partneři v Pačlavicích

Popis

Hledáte ideální investici do budoucnosti? Co takhle pořízení kvalitní orné půdy, která nejenže nabízí 100% vlastnictví bez spoluvlastníků, ale také stabilně roste na hodnotě? V okrese Kroměříž, konkrétně v katastrálním území Lhota u Pačlavic, máme pro vás skvělou nabídku!

Nabízíme Vám následující pozemky v katastrálním území Lhota u Pačlavic:
- parc. č. 2396 - výměra 248 m²
- parc. č. 2420 - výměra 951 m²
- parc. č. 2035 - výměra 571 m²

Tato půda je nejen kvalitní, ale také skvělou ochranou proti inflaci. S rostoucími cenami potravin a zemědělských produktů se investice do půdy stává stále výhodnější. Zajišťujeme rychlý prodej – připravíme kupní smlouvy a v případě zájmu Vám zajistíme ostatní právní služby. Zaručíme Vám jednoduchý a transparentní prodej.

V případě zájmu nebo dotazů nás neváhejte kontaktovat na níže uvedeném telefonním čísle nebo e-mailu.

Podle veřejného registru půdy LPIS, který eviduje zemědělskou půdu v ČR:
- parc. č. 2396 - výměra 248 m² - hospodařící AGRODRUŽSTVO MORKOVICE, družstvo hospodaří na 206 m²
- parc. č. 2420 - výměra 951 m² - hospodařící AGRODRUŽSTVO MORKOVICE, družstvo hospodaří na 896 m²- parc. č. 2035 - výměra 571 m² - hospodařící AGRODRUŽSTVO MORKOVICE, družstvo hospodaří na 571 m²

Tento inzerát není závaznou nabídkou inzerenta, podmínky prodeje se mohou v jeho průběhu měnit.

Makléř

Máte zájem o tento pozemek?

Tímto, v souladu s nařízením Evropského parlamentu a Rady (EU) 2016/679, v platném znění, prohlašuji, že mi je alespoň 16 let a uděluji tak svůj souhlas se zpracováním zadaných údajů (jméno, telefon, e-mail, ip adresa) společnosti B3 Technology, s.r.o., IČ: 07330600, se sídlem Novostavby 126/23, 435 11 Lom (správce dat), za účelem předání dotazu z tohoto formuláře Vámi vybranému inzerentovi a zpětného kontaktování mé osoby. Osobní údaje bude správce zpracovávat manuálně i automaticky přímo prostřednictvím svých zaměstnanců. Informace předané tímto formulářem budou uloženy v databázi správce maximálně po dobu 10 let. Odvolání souhlasu s uložením a zpracováním poskytnutých dat lze e-mailem na info@origo-reality.cz. V případě podezření na neoprávněné použití Vámi poskytnutých údajů máte právo předat podnět k šetření Úřadu pro ochranu osobních údajů. Více informací
Chystáte se prodat nemovitost?
Pomůžeme Vám!

Přihlášení k odběru

Nenechte si ujít nejnovější nabídky prodeje polí v Pačlavicích.