Prodej pole, Hospříz, 26834 m2 (ID: 1785396)

Hospříz

990 000 Kč

Prodávající si vyhrazuje právo vybrat kupujícího na základě jím zvolených kritérií.
Hypotéka od 4 425 Kč /měs. Chci hypotéku

Parametry pozemku

AdresaHospříz
IDN00950
Plocha pozemku26834 m2

Origo partneři v Hospřízi

Popis

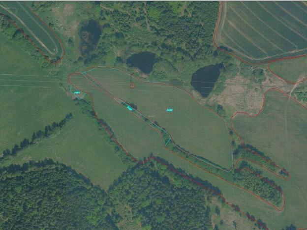
Nabízíme k prodeji pozemky v katastru obce Hospříz. Pozemky o celkové výměře 26 834 m². Pozemky lze koupit i samostatně. Hospříz se nalézá východním směrem od Jindřichova Hradce, přibližně 13 km od rakouských hranic a severně od chráněného území Česká Kanada. Pozemky jsou dle katastru nemovitostí evidovány jako trvalý travní porost. Nachází se u souboru rybníků a rozsáhlých lesních pozemků. Hospříz je také názvem katastrálního území. V případě zájmu nás neváhejte kontaktovat. Názvem katastrálního území je Hospříz. V případě zájmu nás neváhejte kontaktovat.

Makléř

Máte zájem o tento pozemek?

Tímto, v souladu s nařízením Evropského parlamentu a Rady (EU) 2016/679, v platném znění, prohlašuji, že mi je alespoň 16 let a uděluji tak svůj souhlas se zpracováním zadaných údajů (jméno, telefon, e-mail, ip adresa) společnosti B3 Technology, s.r.o., IČ: 07330600, se sídlem Novostavby 126/23, 435 11 Lom (správce dat), za účelem předání dotazu z tohoto formuláře Vámi vybranému inzerentovi a zpětného kontaktování mé osoby. Osobní údaje bude správce zpracovávat manuálně i automaticky přímo prostřednictvím svých zaměstnanců. Informace předané tímto formulářem budou uloženy v databázi správce maximálně po dobu 10 let. Odvolání souhlasu s uložením a zpracováním poskytnutých dat lze e-mailem na info@origo-reality.cz. V případě podezření na neoprávněné použití Vámi poskytnutých údajů máte právo předat podnět k šetření Úřadu pro ochranu osobních údajů. Více informací
Chystáte se prodat nemovitost?
Pomůžeme Vám!

Přihlášení k odběru

Nenechte si ujít nejnovější nabídky prodeje polí v Hospřízi.