Prodej pozemku, Železná Ruda - Hojsova Stráž, 4029 m2 (ID: 1783591)

Železná Ruda, Hojsova Stráž

1 300 000 Kč

včetně provize RK
Hypotéka od 5 810 Kč /měs. Chci hypotéku

Parametry pozemku

AdresaŽelezná Ruda, Hojsova Stráž
ID0502025
VlastnictvíOsobní
Plocha pozemku4029 m2

Origo partneři v Železné Rudě

Stěhovací služby

Pojištění a finance

Popis

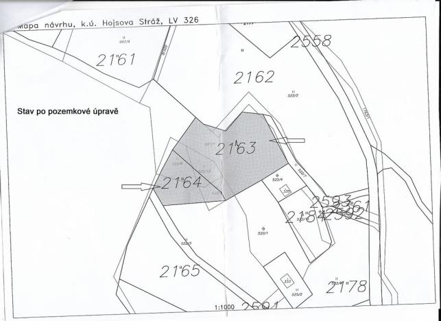
Nabízíme prodej dvou pozemků u Brčálníku na Šumavě v k.ú. Hojsova Stráž o celkové velikosti 4029 m² . Probíhající Pozemkovou úpravou bude vlastnická hranice obou pozemků změněna tak, aby celková výměra pozemků v součtu zůstala a měla využitelnější tvar pro užívání a i vůči nově vybudovaným příjezdovým cestám v rámci Pozemkových úprav ( v obrázku čeveně). Pozemky vzniknou jako p.č. 2163 (nové parc.číslo) – druh pozemku ostat.plocha se způsobem využití jiná plocha a jako p.č.2164 (nové parc.číslo) – druh pozemku trvalý travní porost. Elektřina je v dosahu. Pozemky se nachází na lukrativním místě nedaleko od příjezdové komunikace a železnice se zastávkou Brčálník s krásným výhledem na zalesněný horský, hraniční pás, nedaleko obce Hojsova Stráž a Černého jezera. Doporučuji.

Makléř

Máte zájem o tento pozemek?

Tímto, v souladu s nařízením Evropského parlamentu a Rady (EU) 2016/679, v platném znění, prohlašuji, že mi je alespoň 16 let a uděluji tak svůj souhlas se zpracováním zadaných údajů (jméno, telefon, e-mail, ip adresa) společnosti B3 Technology, s.r.o., IČ: 07330600, se sídlem Novostavby 126/23, 435 11 Lom (správce dat), za účelem předání dotazu z tohoto formuláře Vámi vybranému inzerentovi a zpětného kontaktování mé osoby. Osobní údaje bude správce zpracovávat manuálně i automaticky přímo prostřednictvím svých zaměstnanců. Informace předané tímto formulářem budou uloženy v databázi správce maximálně po dobu 10 let. Odvolání souhlasu s uložením a zpracováním poskytnutých dat lze e-mailem na info@origo-reality.cz. V případě podezření na neoprávněné použití Vámi poskytnutých údajů máte právo předat podnět k šetření Úřadu pro ochranu osobních údajů. Více informací
Chystáte se prodat nemovitost?
Pomůžeme Vám!
Theleadway banner

Přihlášení k odběru

Nenechte si ujít nejnovější nabídky prodeje pozemků v Železné Rudě.