Prodej chaty, Dětřichov nad Bystřicí, 56 m2

Dětřichov nad Bystřicí

Rezervováno
1 370 000 Kč
/za nemovitost
Hypotéka od 6 123 Kč /měs. Chci hypotéku

Parametry domu

StavRezervováno
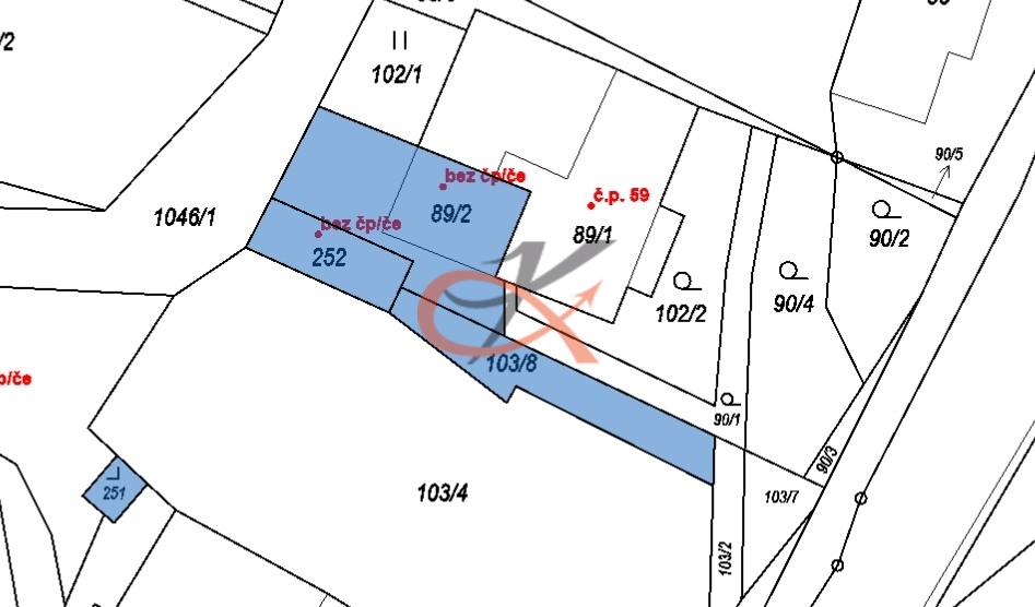
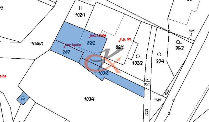
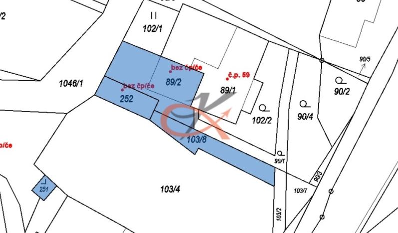
AdresaDětřichov nad Bystřicí
ID7125
StavbaSmíšená
Stav objektuDobrý
VybavenoNe
Typ objektuPatrový
Druh objektuŘadový
Lokalita objektuKlidná část obce
Užitná plocha56 m2
Plocha pozemku505 m2
Třída energetické náročnostiG - Mimořádně nehospodárná
Elektřina230V
OdpadTrativod
KomunikaceZpevněná
DopravaVlak, Silnice, Autobus
VodaVodovod
Garáž
Převod do OV
Parkování

Origo partneři v Dětřichově nad Bystřicí

Popis

Hledáte stavbu s charakterem a možností dotvořit si ji podle vlastních představ? Tak máme skvělou příležitost pro kreativní rekonstrukci.

Nabízíme útulnou nemovitost v klidné části obce Dětřichov nad Bystřicí v oblasti Nízkého Jeseníku. Ideální místo pro odpočinek mimo ruch města.

Dispozice : Obytné podkroví 1+kk ve 2.NP s kompletním sociálním zařízením a plně vybavenou kuchyňskou linkou, vytápění zajištěno krbem s vložkou, podlahová plocha 56m2 , v 1.NP stavby je možnost dokončení další místnosti o celkové podlahové ploše 66 m2 dle Vašich představ. Na pozemku se dále nachází venkovní krb a dostatečný prostor pro posezení.

K nemovitosti náleží i samostatně stojící zděná garáž s vlastním pozemkem o zastavěné ploše 25m2 -praktické zázemí pro parkování vozidla nebo uskladnění věcí. Na samostatné parcele je postavena ocelová hala o zastavěné ploše 93m2, kterou je možno využít na uskladnění věcí a materiálu nebo zbourat,pro vytvoření většího prostoru pozemku.

Lokalita: Obec s výbornou dopravní dostupností do Bruntálu,Opavy a Šternberka. V okolí lesy,louky,čistý vzduch a naprostý klid.

Cena : 1.370 000 Kč

Neváhejte nás kontaktovat pro více informací.

Makléř

Máte zájem o tento dům?

Tímto, v souladu s nařízením Evropského parlamentu a Rady (EU) 2016/679, v platném znění, prohlašuji, že mi je alespoň 16 let a uděluji tak svůj souhlas se zpracováním zadaných údajů (jméno, telefon, e-mail, ip adresa) společnosti B3 Technology, s.r.o., IČ: 07330600, se sídlem Novostavby 126/23, 435 11 Lom (správce dat), za účelem předání dotazu z tohoto formuláře Vámi vybranému inzerentovi a zpětného kontaktování mé osoby. Osobní údaje bude správce zpracovávat manuálně i automaticky přímo prostřednictvím svých zaměstnanců. Informace předané tímto formulářem budou uloženy v databázi správce maximálně po dobu 10 let. Odvolání souhlasu s uložením a zpracováním poskytnutých dat lze e-mailem na info@origo-reality.cz. V případě podezření na neoprávněné použití Vámi poskytnutých údajů máte právo předat podnět k šetření Úřadu pro ochranu osobních údajů. Více informací
Chystáte se prodat nemovitost?
Pomůžeme Vám!

Přihlášení k odběru

Nenechte si ujít nejnovější nabídky prodeje chat v Dětřichově nad Bystřicí.