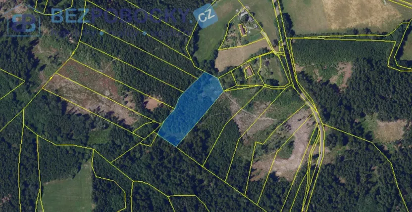
Prodej lesa, Vysočina, 26720 m2

Vysočina, Rváčov u Hlinska

33 Kč
/za metr čtvereční
Hypotéka od 0 Kč /měs. Chci hypotéku

Parametry pozemku

AdresaVysočina, Rváčov u Hlinska
ID5486
Lokalita objektuSamota
Plocha pozemku26720 m2
Převod do OV

Origo partneři v Vysočině

Popis

Nabízíme k prodeji lesní pozemek o celkové výměře 26 720 m², nacházející se v malebné lokalitě část obce Rváčov u Hlinska, v okrese Chrudim, těsně v rámci atraktivního regionu Vysočina.
Tento lesní pozemek představuje unikátní investiční příležitost pro osoby a subjekty hledající perspektivní místo s možnostmi rozvoje. V lese převažují smrkové porosty s menším zastoupením bukových porostů a dalších, stáří cca 40 let.

Parcela č. 600/5, lesní pozemek o výměře 8734 m2
Parcela č. 600/12, lesní pozemek o výměře 8139 m2
Parcela č. 600/11, lesní pozemek o výměře 96 m2
Parcela č. 152, lesní pozemek o výměře 9031 m2
Parcela č. 1221, lesní pozemek o výměře 720 m2

Makléř

Máte zájem o tento pozemek?

Tímto, v souladu s nařízením Evropského parlamentu a Rady (EU) 2016/679, v platném znění, prohlašuji, že mi je alespoň 16 let a uděluji tak svůj souhlas se zpracováním zadaných údajů (jméno, telefon, e-mail, ip adresa) společnosti B3 Technology, s.r.o., IČ: 07330600, se sídlem Novostavby 126/23, 435 11 Lom (správce dat), za účelem předání dotazu z tohoto formuláře Vámi vybranému inzerentovi a zpětného kontaktování mé osoby. Osobní údaje bude správce zpracovávat manuálně i automaticky přímo prostřednictvím svých zaměstnanců. Informace předané tímto formulářem budou uloženy v databázi správce maximálně po dobu 10 let. Odvolání souhlasu s uložením a zpracováním poskytnutých dat lze e-mailem na info@origo-reality.cz. V případě podezření na neoprávněné použití Vámi poskytnutých údajů máte právo předat podnět k šetření Úřadu pro ochranu osobních údajů. Více informací
Chystáte se prodat nemovitost?
Pomůžeme Vám!

Přihlášení k odběru

Nenechte si ujít nejnovější nabídky prodeje lesů v Vysočině.