Prodej pozemku, Karlovy Vary, 1122 m2

Karlovy Vary

3 927 000 Kč
/za nemovitost
Hypotéka od 17 551 Kč /měs. Chci hypotéku

Parametry pozemku

AdresaKarlovy Vary
ID294-NP00448
VybavenoNe
Lokalita objektuCentrum obce
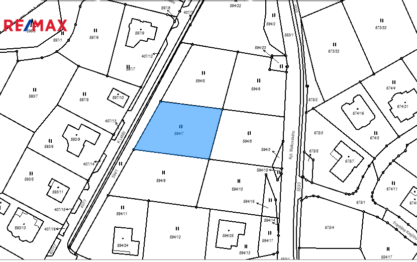
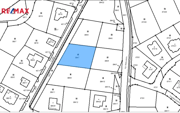
Plocha pozemku1122 m2
Převod do OV

Origo partneři v Karlových Varech

Popis

Nabízím ke koupi pozemek o celkové ploše 1122 m2 v v Hůrkach, část krajského města Karlovy Vary.
Hůrky leží v katastrálním území Olšová Vrata.
Pozemek se nachází v zabydlné části.
Možnost koupit vedlejší parcelu viz foto č.5.
Olšová Vrata historicky nejstarší část K.Varů, oblíbená rezidenční lokalita.
Je tu klid a čisté přírodní prostředí.
V centru Olšových Vrat je obchod s potravinami, penzion,
mateřská školka, MHD, tenisové kurty a dětské hřiště.
V sousední Kolové je pro žáky 1. stupně k dispozici základní škola rodinného typu
s družinou i školním autobusem pro děti z okolních obcí.
Blízko golfový areál, cyklotrasy.
Příjemné bydlení pro život mezi městem a přírodou, blízko lázeňského města,
rychlé napojení na výpadovku K.Vary - Praha.

Pokud Vás tato nabídka oslovila, neváhejte mě kontaktovat.

Možnost schválení hypotečního úvěru před zaplacením rezervačního poplatku,
možnost i 90% hypotéky, srovnání podmínek všech spolupracujících bank a stavebních spořitelen,
zrychlená forma schvalovacího procesu.

Hypotéka bez nemovitosti (schválení hypotéky bez nemovitosti a hypotéku následně můžete využít
na kteroukoliv nemovitost v Karlovarském kraji, kterou Vám pomohu najít). Prodávající si vyhrazuje právo vybrat kupujícího na základě jím zvolených kritérií.

Makléř

Máte zájem o tento pozemek?

Tímto, v souladu s nařízením Evropského parlamentu a Rady (EU) 2016/679, v platném znění, prohlašuji, že mi je alespoň 16 let a uděluji tak svůj souhlas se zpracováním zadaných údajů (jméno, telefon, e-mail, ip adresa) společnosti B3 Technology, s.r.o., IČ: 07330600, se sídlem Novostavby 126/23, 435 11 Lom (správce dat), za účelem předání dotazu z tohoto formuláře Vámi vybranému inzerentovi a zpětného kontaktování mé osoby. Osobní údaje bude správce zpracovávat manuálně i automaticky přímo prostřednictvím svých zaměstnanců. Informace předané tímto formulářem budou uloženy v databázi správce maximálně po dobu 10 let. Odvolání souhlasu s uložením a zpracováním poskytnutých dat lze e-mailem na info@origo-reality.cz. V případě podezření na neoprávněné použití Vámi poskytnutých údajů máte právo předat podnět k šetření Úřadu pro ochranu osobních údajů. Více informací
Chystáte se prodat nemovitost?
Pomůžeme Vám!

Přihlášení k odběru

Nenechte si ujít nejnovější nabídky prodeje pozemků (ostatní) v Karlových Varech.