Prodej pozemku pro bydlení, Ralsko - Ploužnice, 1862 m2

Ralsko, Ploužnice

2 300 000 Kč
/za nemovitost
Hypotéka od 10 280 Kč /měs. Chci hypotéku

Parametry pozemku

AdresaRalsko, Ploužnice
ID939989
Stav objektuDobrý
VybavenoNe
Lokalita objektuKlidná část obce
VlastnictvíOsobní
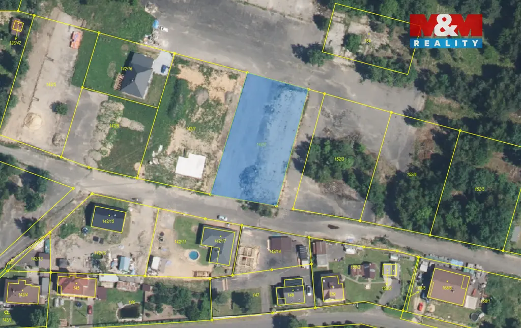
Plocha pozemku1862 m2

Origo partneři v Ralsku

Rekonstrukce

Úklidové služby

Popis

Pokud hledáte stavební pozemek na klidném místě, tato nabídka vás jistě osloví. Nabízíme vám ke koupi rovinatý pozemek o celkové výměře 1 862 m² v místní části obce Ralsko – Hvězdov. Pozemek je dle územního plánu určen k výstavbě nízkopodlažního rodinného domu. Je zde povoleno maximálně 1 nadzemní podlaží + zakončující podlaží s maximální výškou zástavby 9 m. Maximální zastavitelnost pozemku je pak 20 %. K pozemku je již přivedena elektřina, vodu je nutné řešit vlastním vrtem a odpady domovní ČOV. Přístup k pozemku je z obecní asfaltové komunikace. Jedná se o klidnou lokalitu v přírodě, vhodnou pro rodiny s dětmi, s dobrou dostupností do nedalekého města Mimoň (5,7 km), kde najdete veškerou potřebnou občanskou vybavenost. V místě je i dobré turistické vyžití. Současný majitel odstraní zbylé části asfaltu s podkladovým kamenem v celé části pozemku. Případné financování zajistíme za výhodných podmínek. Více informací u makléře.

Makléř

Máte zájem o tento pozemek?

Tímto, v souladu s nařízením Evropského parlamentu a Rady (EU) 2016/679, v platném znění, prohlašuji, že mi je alespoň 16 let a uděluji tak svůj souhlas se zpracováním zadaných údajů (jméno, telefon, e-mail, ip adresa) společnosti B3 Technology, s.r.o., IČ: 07330600, se sídlem Novostavby 126/23, 435 11 Lom (správce dat), za účelem předání dotazu z tohoto formuláře Vámi vybranému inzerentovi a zpětného kontaktování mé osoby. Osobní údaje bude správce zpracovávat manuálně i automaticky přímo prostřednictvím svých zaměstnanců. Informace předané tímto formulářem budou uloženy v databázi správce maximálně po dobu 10 let. Odvolání souhlasu s uložením a zpracováním poskytnutých dat lze e-mailem na info@origo-reality.cz. V případě podezření na neoprávněné použití Vámi poskytnutých údajů máte právo předat podnět k šetření Úřadu pro ochranu osobních údajů. Více informací
Chystáte se prodat nemovitost?
Pomůžeme Vám!

Přihlášení k odběru

Nenechte si ujít nejnovější nabídky prodeje pozemků pro bydlení v Ralsku.