Prodej louky, Sudislav nad Orlicí, 8416 m2 (ID: 2035326)

Sudislav nad Orlicí

Cena na vyžádání
/za nemovitost
Získejte výhodnou HYPOTÉKU Chci hypotéku

Parametry pozemku

AdresaSudislav nad Orlicí
ID2235
Plocha pozemku8416 m2

Origo partneři v Sudislavi nad Orlicí

Popis

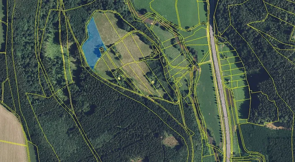
Nabízíme k prodeji atraktivní pozemek o výměře 8416m2 vedený jako trvalý travní porost v malebné obci Sudislav nad Orlicí. Pozemek se nachází v klidné části obce v těsné blízkosti staveb pro rodinnou rekreaci, což nabízí zajímavý potenciál do budoucna.
Vhodné pro zemědělské účely, pastviny, rekreační využití nebo jako investice do budoucna.
Jedná se o jednu souvislou parcelu č. 492/8 v katastrálním území Sudislav nad Orlicí.

Makléř

Máte zájem o tento pozemek?

Tímto, v souladu s nařízením Evropského parlamentu a Rady (EU) 2016/679, v platném znění, prohlašuji, že mi je alespoň 16 let a uděluji tak svůj souhlas se zpracováním zadaných údajů (jméno, telefon, e-mail, ip adresa) společnosti B3 Technology, s.r.o., IČ: 07330600, se sídlem Novostavby 126/23, 435 11 Lom (správce dat), za účelem předání dotazu z tohoto formuláře Vámi vybranému inzerentovi a zpětného kontaktování mé osoby. Osobní údaje bude správce zpracovávat manuálně i automaticky přímo prostřednictvím svých zaměstnanců. Informace předané tímto formulářem budou uloženy v databázi správce maximálně po dobu 10 let. Odvolání souhlasu s uložením a zpracováním poskytnutých dat lze e-mailem na info@origo-reality.cz. V případě podezření na neoprávněné použití Vámi poskytnutých údajů máte právo předat podnět k šetření Úřadu pro ochranu osobních údajů. Více informací
Chystáte se prodat nemovitost?
Pomůžeme Vám!

Přihlášení k odběru

Nenechte si ujít nejnovější nabídky prodeje louk v Sudislavi nad Orlicí.

Origo tipy

Podobné nabídky