Prodej louky, Ústí nad Labem, 6389 m2 (ID: 2024144)

Ústí nad Labem

215 Kč
/za metr čtvereční
Hypotéka od 1 Kč /měs. Chci hypotéku

Parametry pozemku

AdresaÚstí nad Labem
Plocha pozemku6389 m2

Origo partneři v Ústí nad Labem

Okna a dveře

Rekonstrukce

Popis

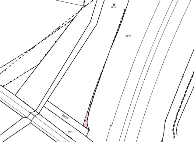
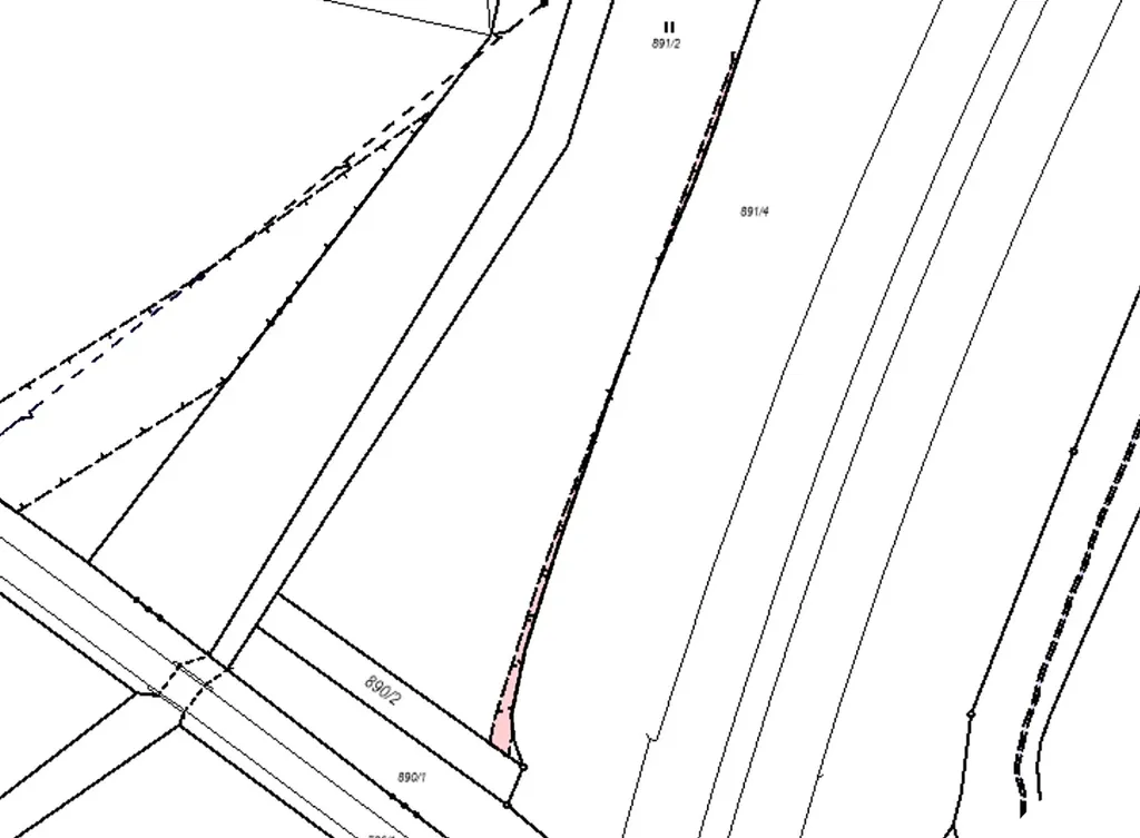
Prodáme louku v k.ú. Všebořice, parcela č. 891/2, mezi průmyslovým areálem a dálnicí D8, se skvělým přístupem z asfaltové komunikace. Sousedí též s místním potokem.
Na okraj pozemku zasahuje věcné břemeno - vodovod, viz obrázek.

Prodej od přímého majitele, nejsme RK, nebudete platit žádnou provizi.

Máme na prodej i pozemky v těsném sousedství.

Prosím, podívejte se i na další nabídku naší společnosti. Máme pozemky po celé republice za velmi zajímavé ceny! Na této stránce dole klikněte na červený nápis Více o společnosti a potom na políčko Inzeráty. Těšíme se na Váš zájem, pokud máte jinou představu o ceně, napište, každou rozumnou nabídkou se budeme seriózně zabývat!

Makléř

Máte zájem o tento pozemek?

Tímto, v souladu s nařízením Evropského parlamentu a Rady (EU) 2016/679, v platném znění, prohlašuji, že mi je alespoň 16 let a uděluji tak svůj souhlas se zpracováním zadaných údajů (jméno, telefon, e-mail, ip adresa) společnosti B3 Technology, s.r.o., IČ: 07330600, se sídlem Novostavby 126/23, 435 11 Lom (správce dat), za účelem předání dotazu z tohoto formuláře Vámi vybranému inzerentovi a zpětného kontaktování mé osoby. Osobní údaje bude správce zpracovávat manuálně i automaticky přímo prostřednictvím svých zaměstnanců. Informace předané tímto formulářem budou uloženy v databázi správce maximálně po dobu 10 let. Odvolání souhlasu s uložením a zpracováním poskytnutých dat lze e-mailem na info@origo-reality.cz. V případě podezření na neoprávněné použití Vámi poskytnutých údajů máte právo předat podnět k šetření Úřadu pro ochranu osobních údajů. Více informací
Chystáte se prodat nemovitost?
Pomůžeme Vám!

Přihlášení k odběru

Nenechte si ujít nejnovější nabídky prodeje louk v Ústí nad Labem.