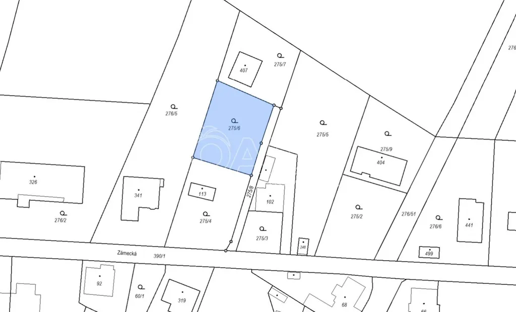
Prodej pozemku pro bydlení, Chotoviny, Zámecká, 713 m2 (ID: 2020624)

Zámecká, Chotoviny

1 897 000 Kč
/za nemovitost
Hypotéka od 8 478 Kč /měs. Chci hypotéku

Parametry pozemku

AdresaZámecká, Chotoviny
ID17778
Plocha pozemku713 m2
PlynPlynovod
OdpadVeřejná kanalizace
KomunikaceDlážděná, Zpevněná
DopravaVlak, Dálnice, Silnice, MHD, Autobus
VodaVodovod
Bezbarierový přístup

Origo partneři v Chotovinách

Výkup a prodej starého nábytku

Popis

Nabízím k prodeji stavební pozemek o výměře 713m2, nacházející se v klidné a vyhledávané lokalitě obce Chotoviny. Na mírně svažitém pozemku se nachází několik vzrostlých jehličnanů i ovocných stromů, což místu dodává kouzlo a přírodní atmosféru. Pro milovníky přírody a klidu jde o ideální místo pro výstavbu vašeho nového domova.
Součástí prodeje je i spoluvlastnický podíl na pozemku 275/8 o výměře 179m2, který zajišťuje přístup k prodávanému pozemku.

Hlavní výhody:
- ideální pozemek pro výstavbu menšího domu s max. 2 nadzemními podlažím, případně jednopodlažní s obytným podkrovím; zastavitelnost pozemku max. 40%
- inženýrské sítě na hranici pozemku
- příznivá poloha pozemku v klidné části obce
- výbornou dobrou dopravní dostupností - dálnice D3 směrem do Tábora, případně na Prahu; autobusová zastávka jen 250 m
- přímo v Chotovinách se nachází základní i mateřská škola, sportovní hala, fotbalové hřiště, supermarket i obecní úřad

Možnost financování koupě hypotečním úvěrem - v případě zájmu vám rádi pomůžeme s jeho vyřízením.

Pokud hledáte klidné místo k bydlení s výbornou dostupností a veškerým potřebným zázemím, je tento pozemek právě pro vás.
Neváhejte a kontaktujte mě pro více informací nebo prohlídku pozemku.

Makléř

Máte zájem o tento pozemek?

Tímto, v souladu s nařízením Evropského parlamentu a Rady (EU) 2016/679, v platném znění, prohlašuji, že mi je alespoň 16 let a uděluji tak svůj souhlas se zpracováním zadaných údajů (jméno, telefon, e-mail, ip adresa) společnosti B3 Technology, s.r.o., IČ: 07330600, se sídlem Novostavby 126/23, 435 11 Lom (správce dat), za účelem předání dotazu z tohoto formuláře Vámi vybranému inzerentovi a zpětného kontaktování mé osoby. Osobní údaje bude správce zpracovávat manuálně i automaticky přímo prostřednictvím svých zaměstnanců. Informace předané tímto formulářem budou uloženy v databázi správce maximálně po dobu 10 let. Odvolání souhlasu s uložením a zpracováním poskytnutých dat lze e-mailem na info@origo-reality.cz. V případě podezření na neoprávněné použití Vámi poskytnutých údajů máte právo předat podnět k šetření Úřadu pro ochranu osobních údajů. Více informací
Chystáte se prodat nemovitost?
Pomůžeme Vám!

Přihlášení k odběru

Nenechte si ujít nejnovější nabídky prodeje pozemků pro bydlení v Chotovinách.