Prodej pozemku pro bydlení, Kutná Hora, 654 m2 (ID: 2018346)

Kutná Hora, Neškaredice

1 900 Kč
/za metr čtvereční
Hypotéka od 8 Kč /měs. Chci hypotéku

Parametry pozemku

AdresaKutná Hora, Neškaredice
ID48524
Plocha pozemku654 m2
Elektřina230V
OdpadVeřejná kanalizace
KomunikaceAsfaltová
DopravaSilnice, MHD, Autobus
VodaVodovod

Origo partneři v Kutné Hoře

Popis

Pozemek k výstavbě RD, 3km od Kutné Hory
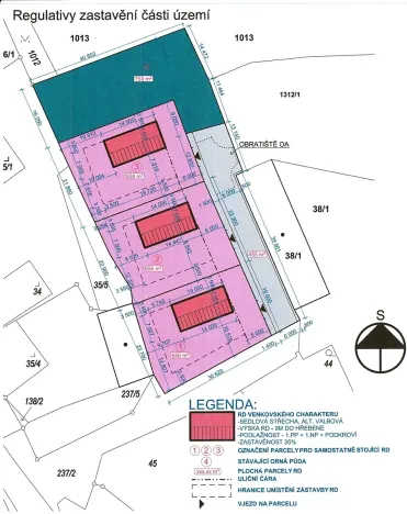
Pozemek má výměru 654m2 a nachází se v obci Neškaredice. Dle územního plánu je určen k výstavbě rodinného domu s jedním nadzemním podlažím a podkrovím s možným jedním podzemním podlažím, střecha sedlová nebo valbová s maximální výškou hřebene 9m a s maximální zastavěností pozemku 35% z celkové plochy. Na hranici pozemku bude přivedena kanalizace, vodovodní přípojka a elektro přípojka 25A.
Bude zbudována společná komunikace. K ceně nutno započítat podíl ve výši ¼ na příjezdové komunikaci, který činí 216.600,-Kč. Veškerá občanská vybavenost je v Kutné Hoře, která je vzdálena 3km. Obec se nachází 7km od Čáslavi a 15km od Kolína, dále 1,5km od silnice I.tř. č. 38 Havlíčkův Brod-Kolín. Z obce je autobusové spojení jak do Kutné Hory, tak i do Čáslavi. Vlaková zastávka v obci Církvice, trasa
Praha - Havl.Brod vzdálena 1,3km.

Makléř

Máte zájem o tento pozemek?

Tímto, v souladu s nařízením Evropského parlamentu a Rady (EU) 2016/679, v platném znění, prohlašuji, že mi je alespoň 16 let a uděluji tak svůj souhlas se zpracováním zadaných údajů (jméno, telefon, e-mail, ip adresa) společnosti B3 Technology, s.r.o., IČ: 07330600, se sídlem Novostavby 126/23, 435 11 Lom (správce dat), za účelem předání dotazu z tohoto formuláře Vámi vybranému inzerentovi a zpětného kontaktování mé osoby. Osobní údaje bude správce zpracovávat manuálně i automaticky přímo prostřednictvím svých zaměstnanců. Informace předané tímto formulářem budou uloženy v databázi správce maximálně po dobu 10 let. Odvolání souhlasu s uložením a zpracováním poskytnutých dat lze e-mailem na info@origo-reality.cz. V případě podezření na neoprávněné použití Vámi poskytnutých údajů máte právo předat podnět k šetření Úřadu pro ochranu osobních údajů. Více informací
Chystáte se prodat nemovitost?
Pomůžeme Vám!

Přihlášení k odběru

Nenechte si ujít nejnovější nabídky prodeje pozemků pro bydlení v Kutné Hoře.