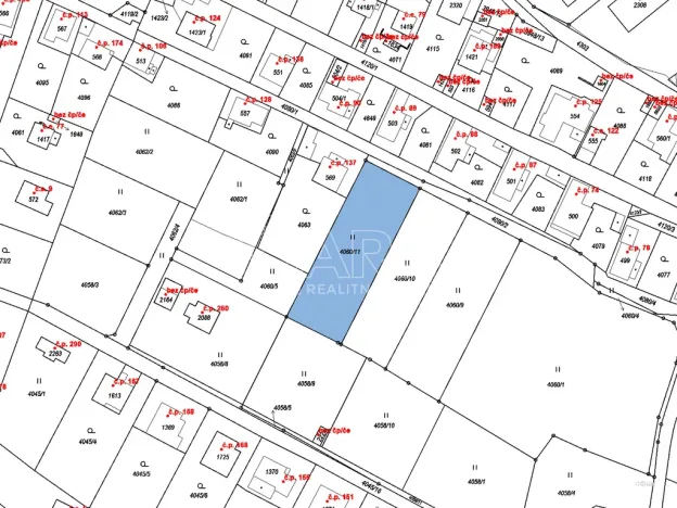
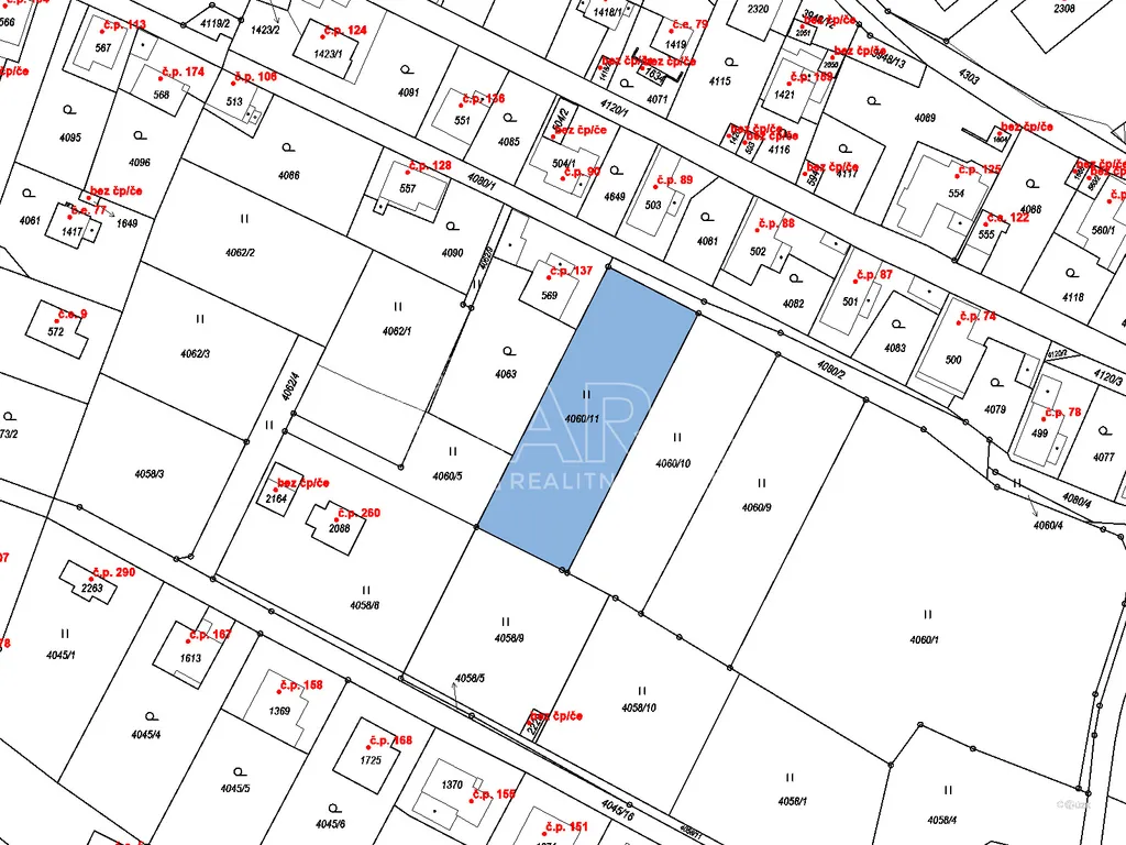
Prodej pozemku pro bydlení, Týnec nad Sázavou, 1201 m2

Týnec nad Sázavou

7 500 000 Kč
/za nemovitost
Hypotéka od 33 520 Kč /měs. Chci hypotéku

Parametry pozemku

AdresaTýnec nad Sázavou
ID19266
Lokalita objektuKlidná část obce
Plocha pozemku1201 m2
OdpadVeřejná kanalizace
KomunikaceAsfaltová
TelekomunikaceInternet
DopravaSilnice, Autobus
VodaVodovod
Převod do OV

Origo partneři v Týnci nad Sázavou

Popis

Hledáte místo pro moderní bydlení, kde už byla ta nejtěžší práce odvedena?

Nabízíme k prodeji slunný stavební pozemek o rozloze 1 201 m² v klidné části Chrástu nad Sázavou. Na pozemku se nachází rozestavěná stavba moderního rodinného domu s platným stavebním povolením a kompletní projektovou dokumentací.

Stav rozestavěnosti

Nemusíte čekat na úřady ani bagry. Na místě je již hotovo:

Zemní práce a terénní úpravy.

Kompletní základová deska včetně prostupů pro inženýrské sítě.

Částečná hrubá stavba suterénu (1. PP) – připraveno k pokračování výstavby.

Dispozice a popis budoucího domu

Projekt počítá s velkorysým, technologicky vyspělým domem rozděleným do dvou podlaží o celkové užitné ploše cca 236 m².

Suterén (1. PP – 128,84 m²): Klidová a relaxační zóna. Dominantou je prostorný obývací pokoj (33 m²) s krbem a vstupem na terasu, ložnice, pokoj/tělocvična, koupelna a luxusní zázemí se saunou a ochlazovnou.

Přízemí (1. NP – 107,91 m²): Vstupní podlaží s velkou dvougaráží (42,5 m²), pracovnou (letním bytem), čajovým pokojem a další koupelnou.

Exteriér: Moderní architektura s plochou zelenou střechou, dřevěnými okny v antracitovém odstínu a kombinací pískové a šedé omítky.

Lokalita a občanská vybavenost

Týnec nad Sázavou je vyhledávanou lokalitou pro svou perfektní rovnováhu mezi přírodou a městským komfortem:

Dopravní dostupnost: Výborné spojení do Prahy (vlak, BUS, auto cca 35 min).

Vybavenost: V místě jsou mateřské i základní školy, poliklinika, pošta, supermarkety a široká síť služeb.

Volný čas: Jen pár kroků od řeky Sázavy a okolních lesů – ideální pro cyklistiku, turistiku či vodáctví.

Inženýrské sítě: Na pozemek je přivedena elektřina, splašková kanalizace a vodovod. Projekt řeší i hospodaření s dešťovou vodou pomocí akumulační nádrž

Tento pozemek je ideální pro někoho, kdo chce stavět ihned a bez administrativních průtahů.

Makléř

Máte zájem o tento pozemek?

Tímto, v souladu s nařízením Evropského parlamentu a Rady (EU) 2016/679, v platném znění, prohlašuji, že mi je alespoň 16 let a uděluji tak svůj souhlas se zpracováním zadaných údajů (jméno, telefon, e-mail, ip adresa) společnosti B3 Technology, s.r.o., IČ: 07330600, se sídlem Novostavby 126/23, 435 11 Lom (správce dat), za účelem předání dotazu z tohoto formuláře Vámi vybranému inzerentovi a zpětného kontaktování mé osoby. Osobní údaje bude správce zpracovávat manuálně i automaticky přímo prostřednictvím svých zaměstnanců. Informace předané tímto formulářem budou uloženy v databázi správce maximálně po dobu 10 let. Odvolání souhlasu s uložením a zpracováním poskytnutých dat lze e-mailem na info@origo-reality.cz. V případě podezření na neoprávněné použití Vámi poskytnutých údajů máte právo předat podnět k šetření Úřadu pro ochranu osobních údajů. Více informací
Chystáte se prodat nemovitost?
Pomůžeme Vám!

Přihlášení k odběru

Nenechte si ujít nejnovější nabídky prodeje pozemků pro bydlení v Týnci nad Sázavou.