Prodej komerčního pozemku, Podbořany, 3968 m2

Podbořany, okres louny

3 299 000 Kč
/za nemovitost
Hypotéka od 14 745 Kč /měs. Chci hypotéku

Parametry pozemku

AdresaPodbořany, okres louny
ID976922
VlastnictvíOsobní
Plocha pozemku3968 m2
DopravaDálnice, Silnice

Origo partneři v Podbořanech

Okna a dveře

Pojištění a finance

Popis

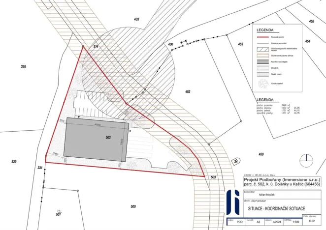
Dovolujeme si Vám touto cestou nabídnout k prodeji velice atraktivní investiční příležitost, jedná se konkrétně o pozemek o celkové výměře 3968 m2 situovaný v okrese Louny, v Dolánkách u Kaštic, které jsou součástí města Podbořany, tj. v Ústeckém kraji.

Nabízený pozemek je rovinatý, s připojením na veřejnou komunikaci a je tak dobře přístupný pro nadměrná vozidla. Aktuálně je zhruba 2500 m2 zpevněno živičným povrchem.

Pozemek je dle schváleného územního plánu města Podbořany veden v ploše přestavby „SV5“ plocha smíšená výrobní, je tedy zejména vhodný k nerušící výrobě a skladování. Územní plán však umožňuje i další alternativy, jako např. stavby pro maloobchod, administrativu, čerpací stanice, služební byty, odstavná parkovací stání, zahradnictví, stavebnictví aj., s tím, že maximální zastavěná plocha pozemku je 60% a stavba může být až 10m vysoká.

Lokalita, kde je nemovitost situována, je charakteristická perfektní dopravní dostupností, sjezd z dálnice D6 se nachází do 10km, silnice 1. třídy I/27 pak ve vzdálenosti 2km.

Pro více informací prosím zkontaktujte realitní kancelář…

Makléř

Máte zájem o tento pozemek?

Tímto, v souladu s nařízením Evropského parlamentu a Rady (EU) 2016/679, v platném znění, prohlašuji, že mi je alespoň 16 let a uděluji tak svůj souhlas se zpracováním zadaných údajů (jméno, telefon, e-mail, ip adresa) společnosti B3 Technology, s.r.o., IČ: 07330600, se sídlem Novostavby 126/23, 435 11 Lom (správce dat), za účelem předání dotazu z tohoto formuláře Vámi vybranému inzerentovi a zpětného kontaktování mé osoby. Osobní údaje bude správce zpracovávat manuálně i automaticky přímo prostřednictvím svých zaměstnanců. Informace předané tímto formulářem budou uloženy v databázi správce maximálně po dobu 10 let. Odvolání souhlasu s uložením a zpracováním poskytnutých dat lze e-mailem na info@origo-reality.cz. V případě podezření na neoprávněné použití Vámi poskytnutých údajů máte právo předat podnět k šetření Úřadu pro ochranu osobních údajů. Více informací
Chystáte se prodat nemovitost?
Pomůžeme Vám!
Theleadway banner

Přihlášení k odběru

Nenechte si ujít nejnovější nabídky prodeje komerčních pozemků v Podbořanech.