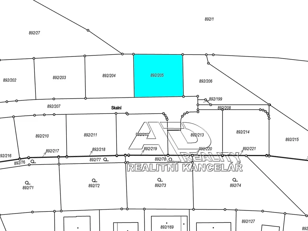
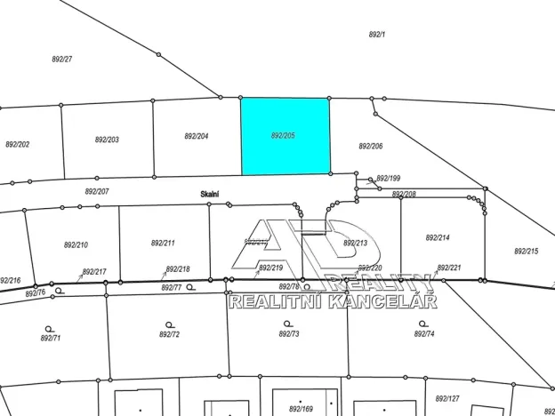
Prodej pozemku pro bydlení, Srubec, Skalní, 613 m2

Skalní, Srubec

9 650 Kč
/za metr čtvereční
Hypotéka od 43 Kč /měs. Chci hypotéku

Parametry pozemku

AdresaSkalní, Srubec
IDAD-2771-2026
Lokalita objektuKlidná část obce
Plocha pozemku613 m2
Elektřina230V
OdpadVeřejná kanalizace
KomunikaceAsfaltová
TelekomunikaceInternet, Kabelové rozvody
DopravaVlak, Dálnice, Silnice, MHD, Autobus
VodaVodovod

Origo partneři v Srubci

Výkup a prodej starého nábytku

Popis

Prodej exklusivních stavebních parcel o výměře 550m2, 618m2 a 613m2 připravené k výstavbě RD v lokalitě Skalní ulice (ZTV Dobrovodská II) Srubec u Českých Budějovic, obdélníkový půdorys, přípojky IS na hranici pozemku, ZTV zkolaudováno.

Makléř

Máte zájem o tento pozemek?

Tímto, v souladu s nařízením Evropského parlamentu a Rady (EU) 2016/679, v platném znění, prohlašuji, že mi je alespoň 16 let a uděluji tak svůj souhlas se zpracováním zadaných údajů (jméno, telefon, e-mail, ip adresa) společnosti B3 Technology, s.r.o., IČ: 07330600, se sídlem Novostavby 126/23, 435 11 Lom (správce dat), za účelem předání dotazu z tohoto formuláře Vámi vybranému inzerentovi a zpětného kontaktování mé osoby. Osobní údaje bude správce zpracovávat manuálně i automaticky přímo prostřednictvím svých zaměstnanců. Informace předané tímto formulářem budou uloženy v databázi správce maximálně po dobu 10 let. Odvolání souhlasu s uložením a zpracováním poskytnutých dat lze e-mailem na info@origo-reality.cz. V případě podezření na neoprávněné použití Vámi poskytnutých údajů máte právo předat podnět k šetření Úřadu pro ochranu osobních údajů. Více informací
Chystáte se prodat nemovitost?
Pomůžeme Vám!