Prodej chaty, Lomnička, 19 m2

Lomnička

2 300 000 Kč

včetně provize RK
Hypotéka od 10 280 Kč /měs. Chci hypotéku

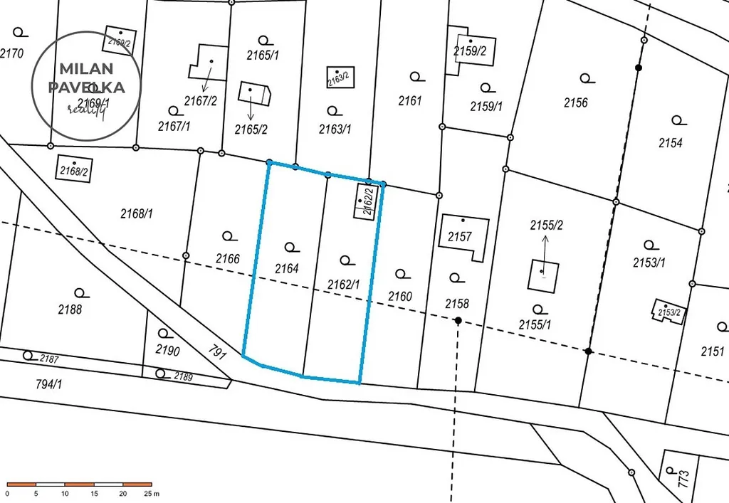
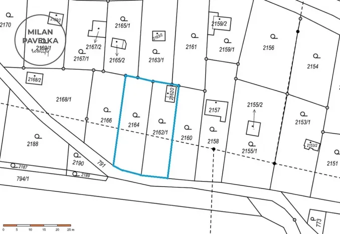
Parametry domu

AdresaLomnička
ID0054
StavbaSmíšená
VybavenoČástečně
Druh objektuSamostatný
Užitná plocha19 m2
Plocha pozemku700 m2
Třída energetické náročnostiG - Mimořádně nehospodárná

Origo partneři v Lomničce

Popis

Je Vašim snem vlastnit nemovitost k relaxaci? Toužíte po úniku od ruchu města a mít možnost procházky nejen v okolí údolí řeky Svratky nebo potoka Besének, ale i v obklopujících lesích? Nebo jste milovníci rybaření?
Právě nyní Vám vše a mnohem víc nabízím díky této nemovitosti v těsné blízkosti Tišnova.

Nemovitost se nachází v obci Lomnička u Tišnova, v chatové oblasti.
Chata je po celkové rekonstrukci – nově postavená před cca 4 roky, je částečně zděná a dřevěná. je postavená na nově vybudované podezdívce. Okna jsou plastová s izolačním dvojsklem. Užitná plocha je 18,5 m² + nová pergola 10,5 m² a zahradní dřevěný domek 5,7 m². Pozemek o celkové rozloze 700 m² je svažitý a jsou zde vybudovány terasy, opěrné zídky a funkční sklep na uskladnění úrody z této zahrady.
Nabízená nemovitost je bez omezení vlastnického práva a je ihned k dispozici a užívání bez nutnosti rozsáhlých rekonstrukcí či oprav.
Chata je napojena na elektrickou energii 230 V, s rozvody v mědi, dešťová - užitková voda, sezónní (zahrádkářská) voda je na sousedním pozemku a je jen o domluvě její napojení, WC suché na pozemku. V chatě je vybudovaný komín s krbovými kamny, které snadno zajistí potřebné a příjemné teplo v celé chatě.
Příjezd k pozemku po obecní zpevněné cestě, parkování na vlastním pozemku.

Tuto nemovitost ocení lidé, kteří hledají klid, přírodu, ale přesto blízkost města. Neváhejte a řekněte si o prohlídku.

Makléř

Máte zájem o tento dům?

Tímto, v souladu s nařízením Evropského parlamentu a Rady (EU) 2016/679, v platném znění, prohlašuji, že mi je alespoň 16 let a uděluji tak svůj souhlas se zpracováním zadaných údajů (jméno, telefon, e-mail, ip adresa) společnosti B3 Technology, s.r.o., IČ: 07330600, se sídlem Novostavby 126/23, 435 11 Lom (správce dat), za účelem předání dotazu z tohoto formuláře Vámi vybranému inzerentovi a zpětného kontaktování mé osoby. Osobní údaje bude správce zpracovávat manuálně i automaticky přímo prostřednictvím svých zaměstnanců. Informace předané tímto formulářem budou uloženy v databázi správce maximálně po dobu 10 let. Odvolání souhlasu s uložením a zpracováním poskytnutých dat lze e-mailem na info@origo-reality.cz. V případě podezření na neoprávněné použití Vámi poskytnutých údajů máte právo předat podnět k šetření Úřadu pro ochranu osobních údajů. Více informací
Chystáte se prodat nemovitost?
Pomůžeme Vám!

Přihlášení k odběru

Nenechte si ujít nejnovější nabídky prodeje chat v Lomničce.