Prodej komerčního pozemku, Libkovice pod Řípem, 1173 m2 (ID: 1984070)

Libkovice pod Řípem

1 989 000 Kč
/za nemovitost
bez DPH
Hypotéka od 8 890 Kč /měs. Chci hypotéku

Parametry pozemku

AdresaLibkovice pod Řípem
ID00330
Plocha pozemku1173 m2

Origo partneři v Libkovicích pod Řípem

Okna a dveře

Rekonstrukce

Popis

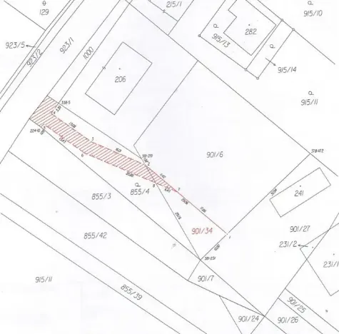
Exkluzivně nabízíme k prodeji zastavitelný pozemek p.č. 901/6 o výměře 1 173 m2 v k.ú. Libkovice pod Řípem, vedený na LV 854 ve výlučném vlastnictví (1/1). Pozemek je veden jako zastavitelné území pro výrobu a skladování, tzn., že může sloužit pro drobné podnikání a v případě malé změny v územním plánu i pro bydlení. V případě jakýchkoliv dotazů nás neváhejte kontaktovat
Souřadnice: 50.3899994N, 14.3393700E

Makléř

Máte zájem o tento pozemek?

Tímto, v souladu s nařízením Evropského parlamentu a Rady (EU) 2016/679, v platném znění, prohlašuji, že mi je alespoň 16 let a uděluji tak svůj souhlas se zpracováním zadaných údajů (jméno, telefon, e-mail, ip adresa) společnosti B3 Technology, s.r.o., IČ: 07330600, se sídlem Novostavby 126/23, 435 11 Lom (správce dat), za účelem předání dotazu z tohoto formuláře Vámi vybranému inzerentovi a zpětného kontaktování mé osoby. Osobní údaje bude správce zpracovávat manuálně i automaticky přímo prostřednictvím svých zaměstnanců. Informace předané tímto formulářem budou uloženy v databázi správce maximálně po dobu 10 let. Odvolání souhlasu s uložením a zpracováním poskytnutých dat lze e-mailem na info@origo-reality.cz. V případě podezření na neoprávněné použití Vámi poskytnutých údajů máte právo předat podnět k šetření Úřadu pro ochranu osobních údajů. Více informací
Chystáte se prodat nemovitost?
Pomůžeme Vám!

Přihlášení k odběru

Nenechte si ujít nejnovější nabídky prodeje komerčních pozemků v Libkovicích pod Řípem.