Prodej louky, Železný Brod, 5198 m2

Železný Brod

249 504 Kč
/za nemovitost
Hypotéka od 1 115 Kč /měs. Chci hypotéku

Parametry pozemku

AdresaŽelezný Brod
ID9276
Plocha pozemku5198 m2

Origo partneři v Železném Brodě

Rekonstrukce

Úklidové služby

Popis

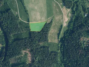
V katastrálním území Železný Brod nabízím k prodeji vlastnictví na souboru zemědělských pozemků.

-> katastrální území Železný Brod,
-> parc. č. 2109/2, 2110, 2120, LV 3412
-> pozemky v jednom v celku
-> výměra určená k prodeji 5 198 m2
-> celková výměra 10 396 m2
-> třída ochrany 5
-> zajištěn přístup

Jedná se o trvalý travní porost a ostatní plochu v okrese Jablonec nad Nisou, obec Železný Brod. Pozemky spolu sousedí a tvoří jeden celek. Jsou přístupné.

Pokud máte zájem o více informací, neváhejte mě kontaktovat telefonicky nebo e-mailem. Zajistím kompletní smluvní servis i související právní služby.

Majitel si vyhrazuje právo vybrat kupujícího na základě nabídky.

Makléř

Máte zájem o tento pozemek?

Tímto, v souladu s nařízením Evropského parlamentu a Rady (EU) 2016/679, v platném znění, prohlašuji, že mi je alespoň 16 let a uděluji tak svůj souhlas se zpracováním zadaných údajů (jméno, telefon, e-mail, ip adresa) společnosti B3 Technology, s.r.o., IČ: 07330600, se sídlem Novostavby 126/23, 435 11 Lom (správce dat), za účelem předání dotazu z tohoto formuláře Vámi vybranému inzerentovi a zpětného kontaktování mé osoby. Osobní údaje bude správce zpracovávat manuálně i automaticky přímo prostřednictvím svých zaměstnanců. Informace předané tímto formulářem budou uloženy v databázi správce maximálně po dobu 10 let. Odvolání souhlasu s uložením a zpracováním poskytnutých dat lze e-mailem na info@origo-reality.cz. V případě podezření na neoprávněné použití Vámi poskytnutých údajů máte právo předat podnět k šetření Úřadu pro ochranu osobních údajů. Více informací
Chystáte se prodat nemovitost?
Pomůžeme Vám!

Přihlášení k odběru

Nenechte si ujít nejnovější nabídky prodeje louk v Železném Brodě.