Prodej pozemku, Albrechtice nad Vltavou, 700 m2 (ID: 1982246)

Albrechtice nad Vltavou

Cena na vyžádání
/za nemovitost
minimální cena do výběrového řízení 440.000,- Kč
Získejte výhodnou HYPOTÉKU Chci hypotéku

Parametry pozemku

AdresaAlbrechtice nad Vltavou
ID944/199/S335/20
Plocha pozemku700 m2

Origo partneři v Albrechticích nad Vltavou

Výkup a prodej starého nábytku

Popis

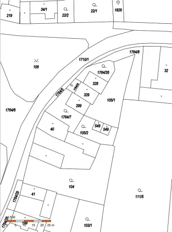
Jedná se o prodej pozemku parcely číslo 105/1 o výměře 501 m2 s druhem pozemku ostatní plocha, jiná plocha a pozemku parcely číslo 105/2 o výměře 199 m2 s druhem pozemku zahrada.
Předmětné nemovitosti jsou zapsány v katastru nemovitostí u Katastrálního úřadu pro Jihočeský kraj, Katastrálního pracoviště Písek na LV č. 27, pro katastrální území Albrechtice nad Vltavou a obec Albrechtice nad Vltavou.
Součástí pozemku je stavba – zpevněná plocha asfalt, který je předmětem ocenění a taktéž předmětem prodeje.
Na předmětné pozemky jsou uzavřeny 3 nájemní smlouvy, za účelem přístupu k nemovitostem č.p. 153, 154, 155 a stavbám na pozemcích st. 548 a 549. Nájemní smlouvy skončí 30 dnem po převodu vlastnického práva na nového vlastníka.
V případě, že výherce VŘ bude odlišný od vlastníků RD č.p. 153, 154, 155 a staveb na pozemcích st. 548 a 549 bude každému vlastníkovi, pro kterého pozemek p.č. 105/1 slouží jako přístup, zřízeno před uzavřením KS s výhercem VŘ věcné břemeno přístupu.

Prodej formou výběrového řízení, podmínky VŘ na internetových stránkách Lesy České republiky, s.p., prodej nepotřebného nemovitého majetku.

Bližší informace na LS Vodňany.

Makléř

Máte zájem o tento pozemek?

Tímto, v souladu s nařízením Evropského parlamentu a Rady (EU) 2016/679, v platném znění, prohlašuji, že mi je alespoň 16 let a uděluji tak svůj souhlas se zpracováním zadaných údajů (jméno, telefon, e-mail, ip adresa) společnosti B3 Technology, s.r.o., IČ: 07330600, se sídlem Novostavby 126/23, 435 11 Lom (správce dat), za účelem předání dotazu z tohoto formuláře Vámi vybranému inzerentovi a zpětného kontaktování mé osoby. Osobní údaje bude správce zpracovávat manuálně i automaticky přímo prostřednictvím svých zaměstnanců. Informace předané tímto formulářem budou uloženy v databázi správce maximálně po dobu 10 let. Odvolání souhlasu s uložením a zpracováním poskytnutých dat lze e-mailem na info@origo-reality.cz. V případě podezření na neoprávněné použití Vámi poskytnutých údajů máte právo předat podnět k šetření Úřadu pro ochranu osobních údajů. Více informací
Chystáte se prodat nemovitost?
Pomůžeme Vám!

Přihlášení k odběru

Nenechte si ujít nejnovější nabídky prodeje pozemků (ostatní) v Albrechticích nad Vltavou.