Pronájem bytu 4+1, Dubicko, U Hájovny, 236 m2

U Hájovny, Dubicko

Cena na vyžádání
/za měsíc
Minimální cena do výběrového řízení 17 000,-
Získejte výhodnou HYPOTÉKU Chci hypotéku

Parametry bytu

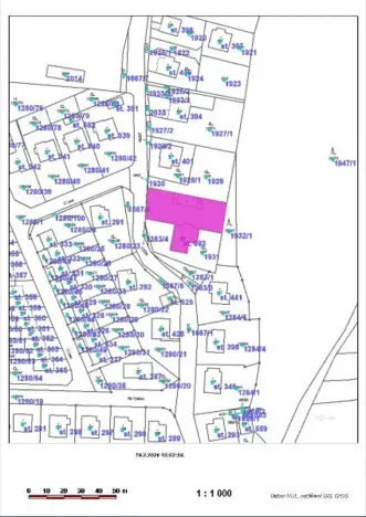
AdresaU Hájovny, Dubicko
ID941/125/1/2026
StavbaSmíšená
Stav objektuDobrý
Patro1.
VlastnictvíStátní/obecní
Užitná plocha236 m2

Origo partneři v Dubicku

Popis

Pozemek a stavba:

Byt 4+1 o velikosti 236,57 m2 v budově Dubicko č.p. 139 na st.p.č. 393 v k.ú. Dubicko

Nebytové prostory o velikosti 105,47 m2 (hospodářské budovy tvořící funkční celek s nemovitostí Dubicko č.p. 139 v k.ú. Dubicko)

Pozemky část st.p.č. 393 – zastavěná plocha a nádvoří o výměře 630 m2, p.č.1931 – zahrada o výměře 659 m2 a p.č. 1283/1 – zahrada o výměře 215 m2 tvořící funkční celek s nemovitostí Dubicko č.p. 139 v k.ú. Dubicko
včetně venkovních úprav, součástí a příslušenství bytu, jak jsou popsány ve znaleckém posudku včetně venkovních úprav, součástí a příslušenství bytu, jak jsou popsány ve znaleckém posudku č. 063472/2025, vypracovaném znalcem Ing. Janem Richtrem.
Výše uvedené nemovité věci jsou zapsány v katastru nemovitostí.

Objekt je pronajímán formou výběrového řízení. Podmínky VŘ jsou zveřejněny na internetových stránkách Lesy České republiky s.p., prodej nepotřebných nemovitostí LČR nebo k vyzvednutí na LS Ruda nad Moravou.

Makléř

Máte zájem o tento byt?

Tímto, v souladu s nařízením Evropského parlamentu a Rady (EU) 2016/679, v platném znění, prohlašuji, že mi je alespoň 16 let a uděluji tak svůj souhlas se zpracováním zadaných údajů (jméno, telefon, e-mail, ip adresa) společnosti B3 Technology, s.r.o., IČ: 07330600, se sídlem Novostavby 126/23, 435 11 Lom (správce dat), za účelem předání dotazu z tohoto formuláře Vámi vybranému inzerentovi a zpětného kontaktování mé osoby. Osobní údaje bude správce zpracovávat manuálně i automaticky přímo prostřednictvím svých zaměstnanců. Informace předané tímto formulářem budou uloženy v databázi správce maximálně po dobu 10 let. Odvolání souhlasu s uložením a zpracováním poskytnutých dat lze e-mailem na info@origo-reality.cz. V případě podezření na neoprávněné použití Vámi poskytnutých údajů máte právo předat podnět k šetření Úřadu pro ochranu osobních údajů. Více informací
Chystáte se prodat nemovitost?
Pomůžeme Vám!

Přihlášení k odběru

Nenechte si ujít nejnovější nabídky pronájmu bytů 4+1 v Dubicku.