Prodej komerčního pozemku, Halenkovice, 8949 m2

Halenkovice

Cena na vyžádání
/za nemovitost
Informace v RK.
Získejte výhodnou HYPOTÉKU Chci hypotéku

Parametry pozemku

AdresaHalenkovice
ID930129
Stav objektuDobrý
VybavenoNe
Lokalita objektuKlidná část obce
VlastnictvíOsobní
Plocha pozemku8949 m2

Origo partneři v Halenkovicích

Popis

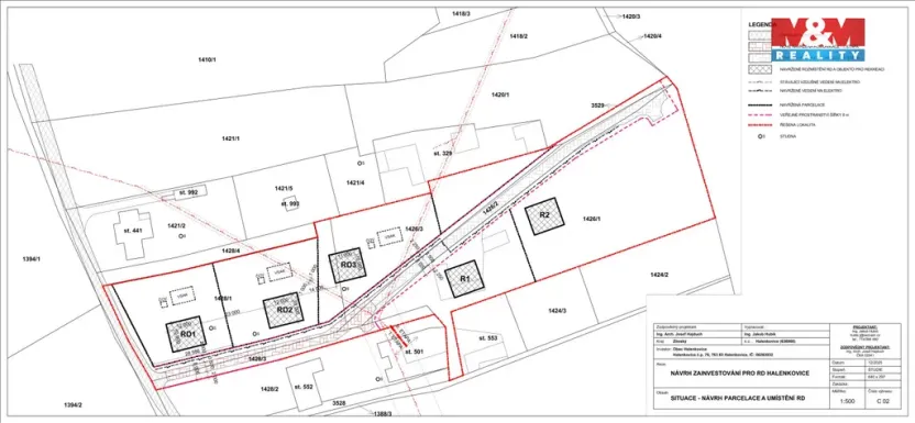
Máme pro Vás pozemek o velikosti 8949 m2, který je dělitelný na menší celky. Pozemek je rovinatý nebo mírně svažitý. Část pozemku o velikosti 4429 m2 je vedena v BI (plochy individuálního bydlení), dalších 1700 m2 je v RI (plochy rodinné rekreace). Přibližně 2064 m2 je Z.1 (plocha zemědělská - specifická). Ostatní plocha je komunikace, která vede přes celý pozemek a umožňuje příjezd k jednotlivým pozemkům.
Pozemek se nachází v místní lokalitě Nad Hradským. V této lokalitě jsou již rodinné domy postaveny, ale jedná se spíš o klidnou lokalitu poskytující dostatek soukromí a krásné výhledy na okolí. Lokalita je na okraji CHKO Chřiby, ale není součástí CHKO. Pro jednotlivé domy se předpokládá vybudování studní (je k tomu zpracován hydrogeologický posudek s rozmístěním zdrojů vody) a čističek odpadních vod. Domy, které zde budou postaveny, mohou mít 2 NP a není stanoven koeficient zastavitelnosti. Nezávazná studie je zpracována. Pro více informací zavolejte.

Makléř

Máte zájem o tento pozemek?

Tímto, v souladu s nařízením Evropského parlamentu a Rady (EU) 2016/679, v platném znění, prohlašuji, že mi je alespoň 16 let a uděluji tak svůj souhlas se zpracováním zadaných údajů (jméno, telefon, e-mail, ip adresa) společnosti B3 Technology, s.r.o., IČ: 07330600, se sídlem Novostavby 126/23, 435 11 Lom (správce dat), za účelem předání dotazu z tohoto formuláře Vámi vybranému inzerentovi a zpětného kontaktování mé osoby. Osobní údaje bude správce zpracovávat manuálně i automaticky přímo prostřednictvím svých zaměstnanců. Informace předané tímto formulářem budou uloženy v databázi správce maximálně po dobu 10 let. Odvolání souhlasu s uložením a zpracováním poskytnutých dat lze e-mailem na info@origo-reality.cz. V případě podezření na neoprávněné použití Vámi poskytnutých údajů máte právo předat podnět k šetření Úřadu pro ochranu osobních údajů. Více informací
Chystáte se prodat nemovitost?
Pomůžeme Vám!

Přihlášení k odběru

Nenechte si ujít nejnovější nabídky prodeje komerčních pozemků v Halenkovicích.