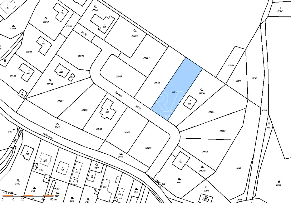
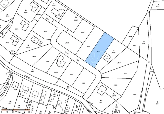
Prodej pozemku pro bydlení, Tuchoměřice, 1237 m2

Tuchoměřice, Kněžívka

11 133 000 Kč
/za nemovitost
cena včetně provize, právního a hypotečního servisu
Hypotéka od 49 758 Kč /měs. Chci hypotéku

Parametry pozemku

AdresaTuchoměřice, Kněžívka
ID18138
Lokalita objektuOkraj obce
Plocha pozemku1237 m2
OdpadVeřejná kanalizace
KomunikaceAsfaltová
DopravaDálnice, Silnice, Autobus
VodaVodovod
Převod do OV

Origo partneři v Tuchoměřicích

Popis

Hledáte místo, kde můžete začít novou kapitolu – jako rodina nebo jako podnikatel?
V Tuchoměřicích, na dosah Prahy, na vás čeká pozemek vhodný ke stavbě rodinného domu ve vilové ulici Opuková.
Místo, kde můžete vytvořit domov podle vlastních představ, a zároveň mít město i důležité dopravní tahy po ruce.

Co můžete od lokality očekávat?
• Pro rodiny
Obec nabízí školu, školku, komunitní život a zázemí, kde děti snadno najdou přátele. Okolní krajina – pole, lesy a údolí s Únětickým potokem – dává prostor pro společné víkendy venku.
• Pro podnikatele
Blízkost Prahy, Letiště Václava Havla kousek od domu a rychlé napojení na D7 i Pražský okruh přináší časovou flexibilitu a možnost skloubit práci s rodinou bez dlouhých přesunů.
• Občanská vybavenost a služby
Restaurace a obchody v nedalekém centru POP Airport a k tomu nová nákupní zóna, kde snadno nakoupíte potraviny, drogerii i nábytek.

Informace o pozemku
• Výměra: 1 237 m²
• Tvar: terén rovinatý, obdélník
• Inženýrské sítě: elektřina, voda a kanalizace na hranici pozemku
• Zastavitelnost: až 35 % plochy, což dává prostor pro dům i zahradu
• Územní plán: nízkopodlažní bydlení

Komu může pozemek dávat smysl?
• Rodinám, které chtějí dům se zahradou v dosahu Prahy.
• Podnikatelům, kteří často cestují nebo potřebují rychlé napojení na město a letiště.
• Těm, kdo hledají pozemek s plnou připraveností sítí a jasnými regulativy výstavby.

Pozemek je volně přístupný. Můžete se přijít podívat, projít si okolí a udělat si vlastní představu.
Pokud budete chtít, zavolejte mi – ráda vás vezmu na místo a probereme vše osobně.

Makléř

Máte zájem o tento pozemek?

Tímto, v souladu s nařízením Evropského parlamentu a Rady (EU) 2016/679, v platném znění, prohlašuji, že mi je alespoň 16 let a uděluji tak svůj souhlas se zpracováním zadaných údajů (jméno, telefon, e-mail, ip adresa) společnosti B3 Technology, s.r.o., IČ: 07330600, se sídlem Novostavby 126/23, 435 11 Lom (správce dat), za účelem předání dotazu z tohoto formuláře Vámi vybranému inzerentovi a zpětného kontaktování mé osoby. Osobní údaje bude správce zpracovávat manuálně i automaticky přímo prostřednictvím svých zaměstnanců. Informace předané tímto formulářem budou uloženy v databázi správce maximálně po dobu 10 let. Odvolání souhlasu s uložením a zpracováním poskytnutých dat lze e-mailem na info@origo-reality.cz. V případě podezření na neoprávněné použití Vámi poskytnutých údajů máte právo předat podnět k šetření Úřadu pro ochranu osobních údajů. Více informací
Chystáte se prodat nemovitost?
Pomůžeme Vám!

Přihlášení k odběru

Nenechte si ujít nejnovější nabídky prodeje pozemků pro bydlení v Tuchoměřicích.