Prodej pozemku pro bydlení, Vysoký Újezd, 6994 m2

Vysoký Újezd, Kuchař

20 755 000 Kč
/za nemovitost
Provizi neplatíte, cena vč. právního servisu, Právo majitele vybrat kupujícího dle vlastní úvahy.
Hypotéka od 92 762 Kč /měs. Chci hypotéku

Parametry pozemku

AdresaVysoký Újezd, Kuchař
ID0009
Lokalita objektuCentrum obce
Plocha pozemku6994 m2
Elektřina230V
OdpadVeřejná kanalizace
VodaVodovod

Origo partneři v Vysokém Újezdu

Popis

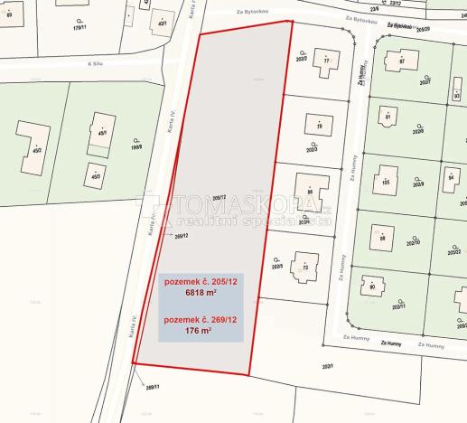
Ve výhradním zastoupení majitele nabízím k prodeji zastavitelný rovinatý stavební pozemek parc.č. 205/12 o výměře 6818 m² (cca 40m x 196m) + pozemek parc.č. 269/12 o výměře 176 m², který je v žádané oblasti obce Vysoký Újezd (Kuchař), okr. Beroun s výbornou dostupností do Berouna (18 min) či do Prahy (40min). Z pozemku č. 205/12 je zastavitelných cca 5640 m², zbylých cca 1354 m² je využitelných jako zahrada (přes stavební část je započítáno i ochranné pásmo el. vedení (22kV) (2x7 metrů) – viz. přiložené fotografie. Pozemek lze rozdělit na 6 parcel pro 6 RD (880+860+835+345+1220+2354 m2). Bližší informace telefonicky.

Makléř

Máte zájem o tento pozemek?

Tímto, v souladu s nařízením Evropského parlamentu a Rady (EU) 2016/679, v platném znění, prohlašuji, že mi je alespoň 16 let a uděluji tak svůj souhlas se zpracováním zadaných údajů (jméno, telefon, e-mail, ip adresa) společnosti B3 Technology, s.r.o., IČ: 07330600, se sídlem Novostavby 126/23, 435 11 Lom (správce dat), za účelem předání dotazu z tohoto formuláře Vámi vybranému inzerentovi a zpětného kontaktování mé osoby. Osobní údaje bude správce zpracovávat manuálně i automaticky přímo prostřednictvím svých zaměstnanců. Informace předané tímto formulářem budou uloženy v databázi správce maximálně po dobu 10 let. Odvolání souhlasu s uložením a zpracováním poskytnutých dat lze e-mailem na info@origo-reality.cz. V případě podezření na neoprávněné použití Vámi poskytnutých údajů máte právo předat podnět k šetření Úřadu pro ochranu osobních údajů. Více informací
Chystáte se prodat nemovitost?
Pomůžeme Vám!

Přihlášení k odběru

Nenechte si ujít nejnovější nabídky prodeje pozemků pro bydlení v Vysokém Újezdu (okr. Beroun).