Prodej pozemku, Mirotice, 5629 m2 (ID: 1890845)

Mirotice, Stráž

Cena na vyžádání
/za nemovitost
Minimální cena do výběrového řízení 806.000,- Kč
Získejte výhodnou HYPOTÉKU Chci hypotéku

Parametry pozemku

AdresaMirotice, Stráž
ID944/199/S656/24
Plocha pozemku5629 m2

Origo partneři v Miroticích

Výkup a prodej starého nábytku

Popis

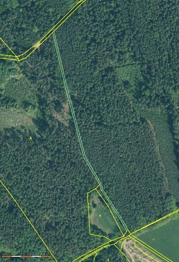
Jedná se o pozemek p.č. 1240 o výměře 2387 m2, druh pozemku ostatní plocha, ostatní komunikace, p.č. 1244 o výměře 543 m2 a druhem pozemku ostatní plocha, ostatní komunikace, p.č. 1245 o výměře 541 m2 a druhem pozemku ostatní plocha, ostatní komunikace - vše zapsáno na LV 20, pro katastrální území Mirotice.
Dále pozemky p.č. 245/4 o výměře 1376 m2 a druhu pozemku ostatní plocha, ostatní komunikace a p.č. 307 o výměře 782 m2 a druh pozemku ostatní plocha, ostatní komunikace. Oba pozemky vedeny na LV 4 pro katastrální území Stráž u Mirotic. Pozemek p.č. 307 v k.ú. Stráž u Mirotic má způsob ochrany pozemek určený k plnění funkcí lesa. Uvedené pozemky jsou dislokovány západně od obce Mirotice, dle územního plánu v nezastavěném území města jako plochy dopravní infrastruktury- účelová komunikace. Pozemky jsou nezpevněné či částečně zpevněné štěrkem bez konstrukčních silničních prvků.
Pozemky jsou prodávány formou výběrového řízení. Podmínky VŘ jsou zveřejněny na internetových stránkách Lesy České republiky s.p., prodej nepotřebných nemovitostí LČR nebo k vyzvednutí na LS Vodňany.

Makléř

Máte zájem o tento pozemek?

Tímto, v souladu s nařízením Evropského parlamentu a Rady (EU) 2016/679, v platném znění, prohlašuji, že mi je alespoň 16 let a uděluji tak svůj souhlas se zpracováním zadaných údajů (jméno, telefon, e-mail, ip adresa) společnosti B3 Technology, s.r.o., IČ: 07330600, se sídlem Novostavby 126/23, 435 11 Lom (správce dat), za účelem předání dotazu z tohoto formuláře Vámi vybranému inzerentovi a zpětného kontaktování mé osoby. Osobní údaje bude správce zpracovávat manuálně i automaticky přímo prostřednictvím svých zaměstnanců. Informace předané tímto formulářem budou uloženy v databázi správce maximálně po dobu 10 let. Odvolání souhlasu s uložením a zpracováním poskytnutých dat lze e-mailem na info@origo-reality.cz. V případě podezření na neoprávněné použití Vámi poskytnutých údajů máte právo předat podnět k šetření Úřadu pro ochranu osobních údajů. Více informací
Chystáte se prodat nemovitost?
Pomůžeme Vám!

Přihlášení k odběru

Nenechte si ujít nejnovější nabídky prodeje pozemků (ostatní) v Miroticích.