Prodej pozemku pro bydlení, Šternberk, 773 m2

Šternberk

3 200 000 Kč
/za nemovitost
Hypotéka od 14 302 Kč /měs. Chci hypotéku

Parametry pozemku

AdresaŠternberk
ID28128
Plocha pozemku773 m2
Převod do OV

Origo partneři v Šternberku

Popis

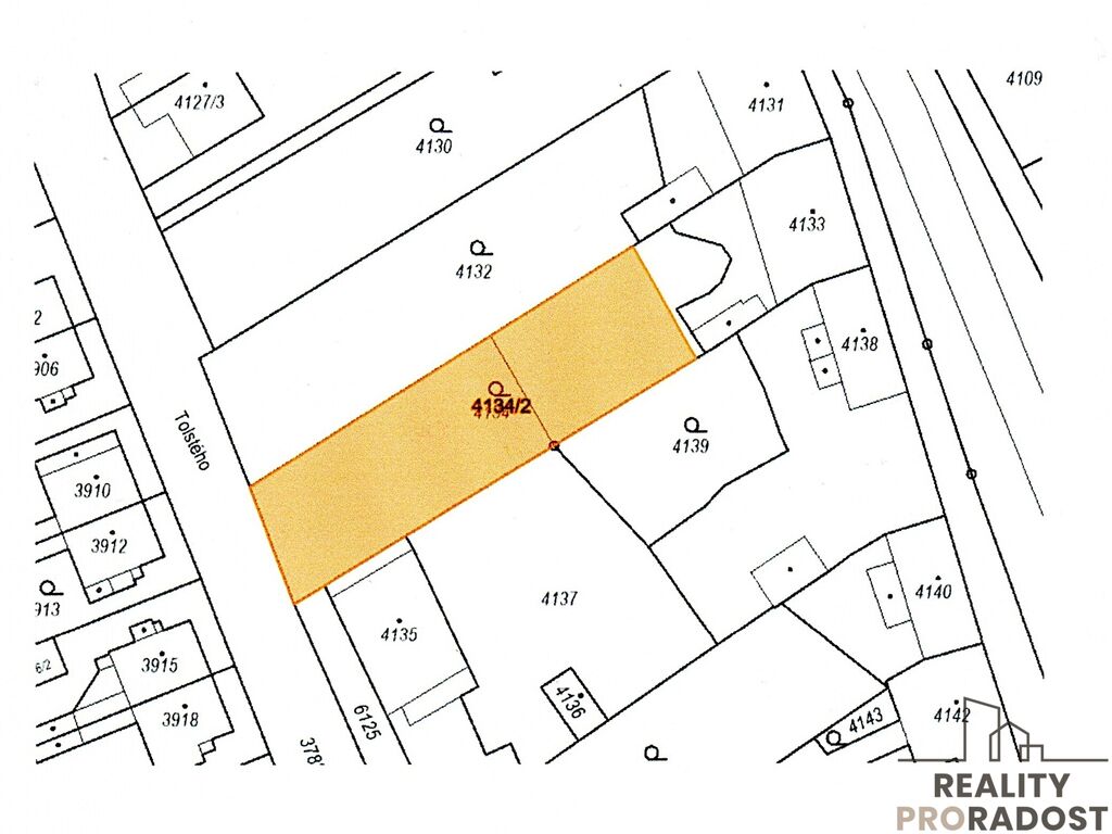
Nabízím k prodeji pozemek určený k výstavbě v klidné části obce Šternberk, konkrétně na pozemku 4134/2 s celkovou plochou 773 m². Tento atraktivní pozemek se nachází mezi ulicemi Rýmařovský a Tolstého, s přístupem z ulice Tolstého, což zajišťuje pohodlnou dostupnost.

Pozemek se nachází v zastavěné oblasti, což znamená, že všechny potřebné inženýrské sítě jsou již rozvedeny. Plyn, elektřina i vodovodní přípojka se nacházejí přímo před pozemkem, což usnadní stavbu vašeho vysněného domu.

Okolí nabízí veškerou občanskou vybavenost, a to včetně obchodů, škol, restaurací a dalších služeb, které přispívají k pohodlnému a kvalitnímu bydlení. Toto místo je ideální pro rodiny i jednotlivce, kteří hledají klidné a příjemné prostředí pro život.

Financování koupi pozemku a případné výstavby je možné prostřednictvím hypotečního úvěru, zajistím bezplatnou konzultaci s odborným finančním poradcem, který má dlouholeté zkušenosti v oblasti financování nemovitostí.

V případě zájmu o prohlídku mě neváhejte kontaktovat.

Makléř

Máte zájem o tento pozemek?

Tímto, v souladu s nařízením Evropského parlamentu a Rady (EU) 2016/679, v platném znění, prohlašuji, že mi je alespoň 16 let a uděluji tak svůj souhlas se zpracováním zadaných údajů (jméno, telefon, e-mail, ip adresa) společnosti B3 Technology, s.r.o., IČ: 07330600, se sídlem Novostavby 126/23, 435 11 Lom (správce dat), za účelem předání dotazu z tohoto formuláře Vámi vybranému inzerentovi a zpětného kontaktování mé osoby. Osobní údaje bude správce zpracovávat manuálně i automaticky přímo prostřednictvím svých zaměstnanců. Informace předané tímto formulářem budou uloženy v databázi správce maximálně po dobu 10 let. Odvolání souhlasu s uložením a zpracováním poskytnutých dat lze e-mailem na info@origo-reality.cz. V případě podezření na neoprávněné použití Vámi poskytnutých údajů máte právo předat podnět k šetření Úřadu pro ochranu osobních údajů. Více informací
Chystáte se prodat nemovitost?
Pomůžeme Vám!

Přihlášení k odběru

Nenechte si ujít nejnovější nabídky prodeje pozemků pro bydlení v Šternberku.