Prodej pozemku pro bydlení, Kostelec, 1097 m2

Kostelec

2 100 000 Kč
/za nemovitost
včetně provize RK
Hypotéka od 9 386 Kč /měs. Chci hypotéku

Parametry pozemku

AdresaKostelec
IDPZ 0261
Plocha pozemku1097 m2

Origo partneři v Kostelci

Popis

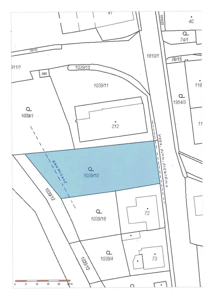
261 stavební pozemek k výstavbě rodinného domu v centru obce Kostelec ( okres Jihlava ). Jedná se o pozemek o výměře 1.097 m2 dle platného územního plánu vedený k výstavbě rodinného domu. Sítě: na pozemku – obecní kanalizace, u pozemku je elektřina 230/400V, plyn a obecní vodovod. Ihned volný. – 2.100.000,- Kč včetně provize

Makléř

Máte zájem o tento pozemek?

Tímto, v souladu s nařízením Evropského parlamentu a Rady (EU) 2016/679, v platném znění, prohlašuji, že mi je alespoň 16 let a uděluji tak svůj souhlas se zpracováním zadaných údajů (jméno, telefon, e-mail, ip adresa) společnosti B3 Technology, s.r.o., IČ: 07330600, se sídlem Novostavby 126/23, 435 11 Lom (správce dat), za účelem předání dotazu z tohoto formuláře Vámi vybranému inzerentovi a zpětného kontaktování mé osoby. Osobní údaje bude správce zpracovávat manuálně i automaticky přímo prostřednictvím svých zaměstnanců. Informace předané tímto formulářem budou uloženy v databázi správce maximálně po dobu 10 let. Odvolání souhlasu s uložením a zpracováním poskytnutých dat lze e-mailem na info@origo-reality.cz. V případě podezření na neoprávněné použití Vámi poskytnutých údajů máte právo předat podnět k šetření Úřadu pro ochranu osobních údajů. Více informací
Chystáte se prodat nemovitost?
Pomůžeme Vám!

Přihlášení k odběru

Nenechte si ujít nejnovější nabídky prodeje pozemků pro bydlení v Kostelci (okr. Jihlava).