Prodej pozemku pro bydlení, Škvorec, 2723 m2 (ID: 1874434)

Škvorec

16 900 000 Kč
/za nemovitost
Hypotéka od 75 533 Kč /měs. Chci hypotéku

Parametry pozemku

AdresaŠkvorec
ID0029
Lokalita objektuKlidná část obce
Plocha pozemku2723 m2
KomunikaceAsfaltová, Zpevněná
VodaStudna

Origo partneři v Škvorci

Popis

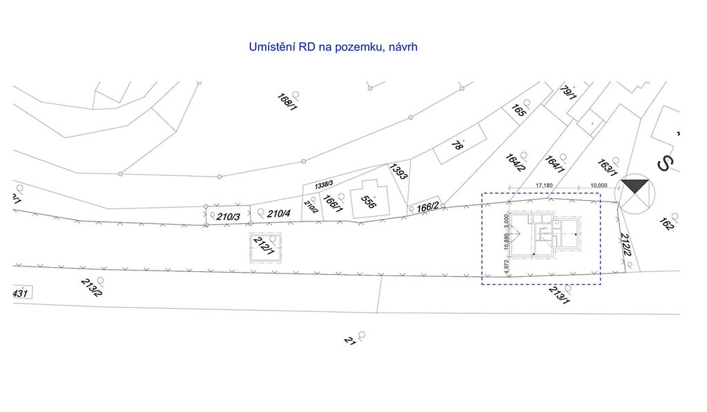
Nabízíme Vám k prodeji stavební pozemek o celkové výměře 2723 m² v ulici Na Dolíkách v městysi Škvorec (Praha – východ). Pozemek se nachází na konci klidné ulice lemované rodinnými domy s výhledem do volného prostoru. Na pozemku je přípojka na elektřinu, vrtaná studna. Přístup na pozemek je z veřejné asfaltové komunikace. Pozemek dle je územního plánu obce spadá do kategorie BI - bydlení individuální, určen k výstavbě rodinného domu s max. plochou zastavění 30% u solitérního domu, 40% u dvojdomu a max. 2 nadzemní podlaží. Velkou výhodou je, že součástí prodávaného pozemku je projekt na výstavbu rodinného domu plochou 273 m2 o dvou bytových jednotkách 5+kk a 3+kk s odděleně stojící garáží. Projekt není podmínkou prodeje a je možné na pozemku postavit jiný dům dle vlastních představ, avšak pokud nechcete ztrácet čas projektováním, tato možnost je pro Vás. Je možnost rozdělení na dva pozemky o velikosti 1473 m2 a 1109 m2 + příjezdová komunikace, viz plánek v příloze. V obci je velmi dobrá občanská vybavenost (ZŠ, MŠ, obchody, pošta, restaurace), a dobrá dostupnost do Prahy (autobus PID, vlak).

Makléř

Máte zájem o tento pozemek?

Tímto, v souladu s nařízením Evropského parlamentu a Rady (EU) 2016/679, v platném znění, prohlašuji, že mi je alespoň 16 let a uděluji tak svůj souhlas se zpracováním zadaných údajů (jméno, telefon, e-mail, ip adresa) společnosti B3 Technology, s.r.o., IČ: 07330600, se sídlem Novostavby 126/23, 435 11 Lom (správce dat), za účelem předání dotazu z tohoto formuláře Vámi vybranému inzerentovi a zpětného kontaktování mé osoby. Osobní údaje bude správce zpracovávat manuálně i automaticky přímo prostřednictvím svých zaměstnanců. Informace předané tímto formulářem budou uloženy v databázi správce maximálně po dobu 10 let. Odvolání souhlasu s uložením a zpracováním poskytnutých dat lze e-mailem na info@origo-reality.cz. V případě podezření na neoprávněné použití Vámi poskytnutých údajů máte právo předat podnět k šetření Úřadu pro ochranu osobních údajů. Více informací
Chystáte se prodat nemovitost?
Pomůžeme Vám!

Přihlášení k odběru

Nenechte si ujít nejnovější nabídky prodeje pozemků pro bydlení v Škvorci.