Prodej pozemku pro bydlení, Čížová, 1147 m2 (ID: 1866275)

Čížová, Zlivice

2 700 Kč
/za metr čtvereční
Hypotéka od 12 Kč /měs. Chci hypotéku

Parametry pozemku

AdresaČížová, Zlivice
IDJ10442
Lokalita objektuKlidná část obce
Plocha pozemku1147 m2
Elektřina230V, 400V
OdpadVeřejná kanalizace
VodaVodovod

Origo partneři v Čížové

Výkup a prodej starého nábytku

Popis

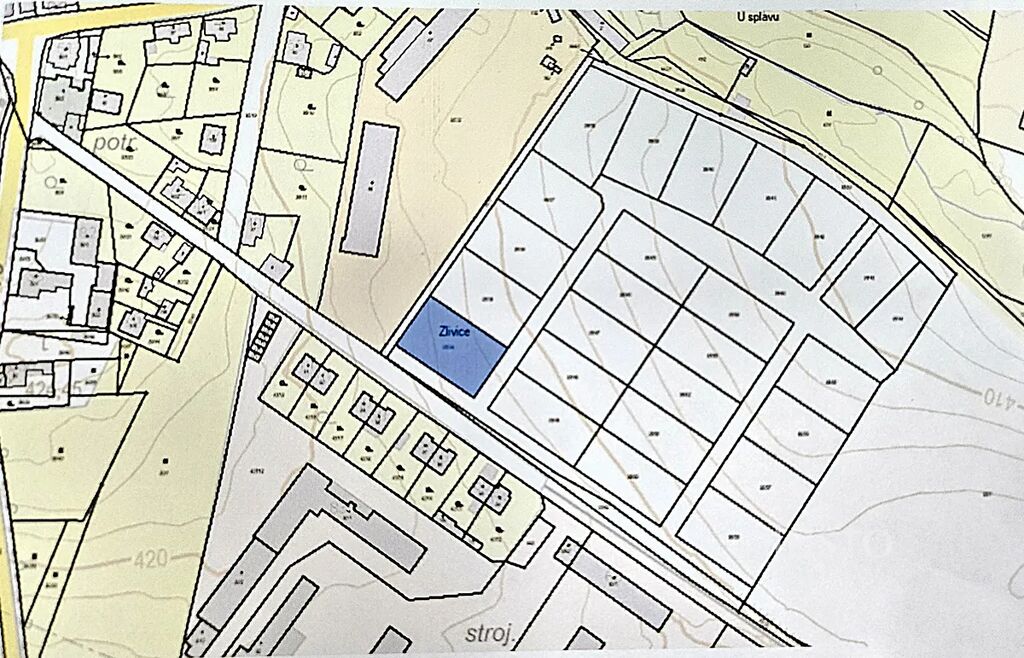
V zastoupení majitele nabízíme k prodeji pozemek o rozloze 1147 m², který se nachází v obci Zlivice u Čížové, okr. Písek.

Pozemek je situován u komunikace, která vede ze Zlivic do Písku. Na hranici pozemku je kaplička s přípojkou elektřiny a obecní kanalizace. Zdroj vody obecní kanalizace. Komunikace a osvětlení k pozemkům je momentálně ve výstavbě. Jedná se o satelitní výstavbu 25 parcel.

Zlivice jsou místní částí obce Čížová. Tvoří s ní z hlediska zástavby jednu oblast, Zlivice pokračují východním směrem tam, kde právě Čížová končí a přirozenou hranici tak tvoří pouze železniční trať z Písku do Zdic. Většinu zástavby Zlivic představují rodinné domy, nacházejí se zde ale i starší stavení. V dosahu obce je obec Čížová vzdálenost 5 min s veškerou občanskou vybaveností.

Makléř

Máte zájem o tento pozemek?

Tímto, v souladu s nařízením Evropského parlamentu a Rady (EU) 2016/679, v platném znění, prohlašuji, že mi je alespoň 16 let a uděluji tak svůj souhlas se zpracováním zadaných údajů (jméno, telefon, e-mail, ip adresa) společnosti B3 Technology, s.r.o., IČ: 07330600, se sídlem Novostavby 126/23, 435 11 Lom (správce dat), za účelem předání dotazu z tohoto formuláře Vámi vybranému inzerentovi a zpětného kontaktování mé osoby. Osobní údaje bude správce zpracovávat manuálně i automaticky přímo prostřednictvím svých zaměstnanců. Informace předané tímto formulářem budou uloženy v databázi správce maximálně po dobu 10 let. Odvolání souhlasu s uložením a zpracováním poskytnutých dat lze e-mailem na info@origo-reality.cz. V případě podezření na neoprávněné použití Vámi poskytnutých údajů máte právo předat podnět k šetření Úřadu pro ochranu osobních údajů. Více informací
Chystáte se prodat nemovitost?
Pomůžeme Vám!

Přihlášení k odběru

Nenechte si ujít nejnovější nabídky prodeje pozemků pro bydlení v Čížové.