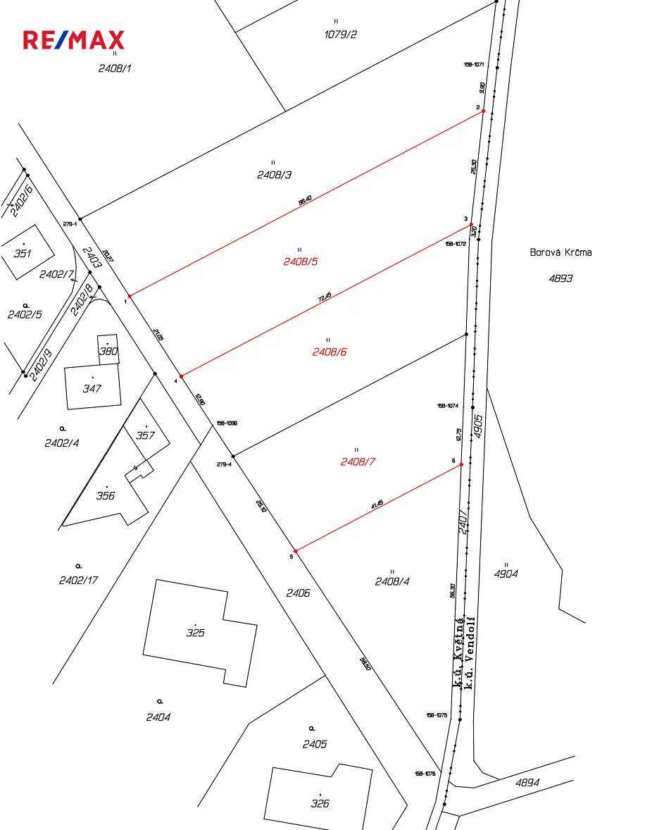
Prodej pozemku pro bydlení, Květná, 1689 m2
Květná
/za nemovitost
Parametry pozemku
| Adresa | Květná | 
|---|---|
| ID | 0020-NP10588 | 
| Plocha pozemku | 1689 m2 | 
Popis
Nabízíme vám krásný, rovinatý stavební pozemek o rozloze 1 689 m² v klidné části obce Květná, lokalita Borová krčma.
Pozemek je určen k výstavbě rodinného domu a nachází se v nově se rozvíjející oblasti plné novostaveb, kde panuje klidná atmosféra a dostatek soukromí. Díky své poloze je ideální pro ty, kteří chtějí žít v přírodě, ale zároveň mít město na dosah.
Dle územního plánu se na pozemku dá postavit jednopodlažní dům + podkorví.
Aktuálně je přístupová cesta v osobním vlastnictví, přičemž její převod do vlastnictví města Květná je plánován na listopad 2025. Část cesty je již vykoupena.
Na pozemku se nachází náletové dřeviny, které lze (až na několik větších stromů) odstranit bez povolení. Vodovodní řád je možné prodloužit z protější strany silnice a kanalizace je v plánu během 2–3 let.
Pozemek sousedí přímo s lesem, což zajišťuje nádherný výhled do zeleně a okamžitý přístup do přírody. Vedle se rozprostírá pole, ideální na procházky nebo venčení psů.
Díky skvělé dopravní dostupnosti jste autem za 6 minut ve Svitavách a stejně tak v Poličce. Místo tak nabízí ideální kombinaci klidu venkova a pohodlného dosahu městské infrastruktury.
Pokud hledáte pozemek pro výstavbu vysněného domu, který vám poskytne soukromí, klid a zároveň dobré spojení do města, tato nabídka je přesně pro vás.
Pokud vás nabídka zaujala, neváhejte se ozvat. Rádi vám poskytneme více informací a domluvíme osobní prohlídku.
Přihlášení k odběru
Nenechte si ujít nejnovější nabídky prodeje pozemků pro bydlení v Květné.
 
                                                                                     
                                                                                     
                                                                                     
                                                                                     
                                                                                     
                                                                                     
                                                                                     
                                                                                     
                                                                                     
                                                                                     
                                                                                     
                                                                                     
                                                                                     
                         
         
         
         
         
         
        