Prodej pozemku pro bydlení, Jeseník, 1330 m2 (ID: 1865907)

Jeseník, Bukovice

2 700 Kč
/za metr čtvereční
cena včetně provize RK a právních služeb
Hypotéka od 12 Kč /měs. Chci hypotéku

Parametry pozemku

AdresaJeseník, Bukovice
ID0083-NP04469
Lokalita objektuKlidná část obce
Plocha pozemku1330 m2
Elektřina230V
PlynPlynovod
OdpadVeřejná kanalizace
DopravaSilnice, MHD

Origo partneři v Jeseníku

Popis

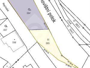
Remax vám exklusivně nabízí k prodeji slunný, mírně svažitý pozemek určený dle územního plánu k bydlení ve městě Jeseník – části Bukovice. Pozemek o celkové výměře 1330 m2 je přístupný z veřejné komunikace (ul. U Sokolovny). Veškeré sítě – voda, kanalizace, plyn jsou dostupné k pozemku (jsou pod komunikací), sítě elektro na pozemku. Do okresního města Jeseník s veškerou občanskou vybaveností jen 1,5km.

Makléř

Máte zájem o tento pozemek?

Tímto, v souladu s nařízením Evropského parlamentu a Rady (EU) 2016/679, v platném znění, prohlašuji, že mi je alespoň 16 let a uděluji tak svůj souhlas se zpracováním zadaných údajů (jméno, telefon, e-mail, ip adresa) společnosti B3 Technology, s.r.o., IČ: 07330600, se sídlem Novostavby 126/23, 435 11 Lom (správce dat), za účelem předání dotazu z tohoto formuláře Vámi vybranému inzerentovi a zpětného kontaktování mé osoby. Osobní údaje bude správce zpracovávat manuálně i automaticky přímo prostřednictvím svých zaměstnanců. Informace předané tímto formulářem budou uloženy v databázi správce maximálně po dobu 10 let. Odvolání souhlasu s uložením a zpracováním poskytnutých dat lze e-mailem na info@origo-reality.cz. V případě podezření na neoprávněné použití Vámi poskytnutých údajů máte právo předat podnět k šetření Úřadu pro ochranu osobních údajů. Více informací
Chystáte se prodat nemovitost?
Pomůžeme Vám!

Přihlášení k odběru

Nenechte si ujít nejnovější nabídky prodeje pozemků pro bydlení v Jeseníku.