Prodej komerčního pozemku, Bavoryně - Průmyslová zóna, 9892 m2
Průmyslová zóna
/za metr čtvereční
studie UR na povolení Stavby.
Parametry pozemku
| Adresa | Průmyslová zóna | 
|---|---|
| ID | 2896 | 
| Plocha pozemku | 9892 m2 | 
| Bezbarierový přístup | 
Popis
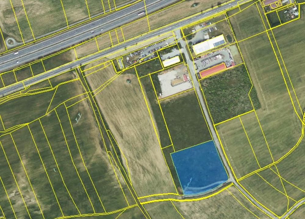
Nabízíme prodej průmyslového pozemku s vydaným ÚR na halu 2031 m2 zast. plochy.  Bavoryně - Exit D5.
--------------------------------------------
Velikost pozemku celkem                                        9.892 m2
 - Velikost zastavěné plochy haly                            2.031 m2
 - Velikost zpevněných ploch a manipulace         2.065 m2
 - ostatní (zeleň, ploty a pod )                                  5.796 m2
Cena za celek                                                             1990 Kč/m2
------------------------------------------
Rovinný pozemek se nachází v Průmyslové nově vzniklé zóně Bavoryně, v blízkosti  Editu dálnice D5.  Pozemek je z části omezen VN a ochranným pásmem. Byla vypracována a schválena studie zastavitelnosti a to stavbou cca 2000 m2, a zpevněnými plochami cca 2000 m2. Komunikace pro příjezd buduje obec Bavoryně. Přípojky projednány a odsouhlaseny, Lze zaslat plné znění UR, jež popisuje napojení areálu a jejich specifikace. Průmyslová hala vhodná pro sklad či výrobu. Administrativní zázemí - viz foto. 
Prodej  - rezervace - možno ihned.
ČERNÝ Pavel 
---------------- 2025 ----------------------- 
ARCHA - průmyslová kancelář ( Praha, Beroun ) 
-Prodej a pronájem skladů/dílen/kanceláří 
-Prodej pozemků pro průmysl 
-Výstavba skladů/dílen/areálů pro logistiku
Přihlášení k odběru
Nenechte si ujít nejnovější nabídky prodeje komerčních pozemků v Bavoryni.
 
                                                                                     
                                                                                     
                                                                                     
                                                                                     
                                                                                     
                                                                                     
                         
        