Prodej pozemku pro bydlení, Lesnice, 2031 m2

Lesnice

3 656 000 Kč
/za nemovitost
Hypotéka od 16 340 Kč /měs. Chci hypotéku

Parametry pozemku

AdresaLesnice
ID2422
Lokalita objektuKlidná část obce
Plocha pozemku2031 m2
Elektřina230V, 400V
KomunikaceAsfaltová
DopravaSilnice, Autobus
VodaVodovod
Převod do OV

Origo partneři v Lesnici

Finance a pojištění

Finance a pojištění

Miluše Vinterová

Exkluzivní odborník pro region, který Vám rád pomůže vyřešit financování. Neváhejte jej nezávazně poptat a zjistěte možnosti, které jsou aktuálně na trhu. Vše příjemně, s ochotou a plnou odborností.

Vyberte si z dalších služeb v okrese

Popis

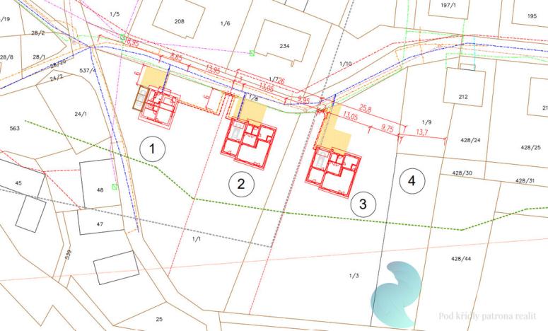
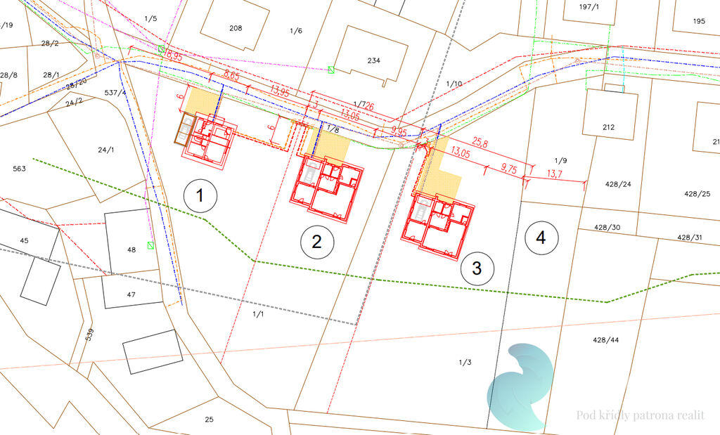
Realdomus Vám exkluzivně zprostředkuje prodej stavebního pozemku o výměře 2 031 m², parc. č. 1/3, v obci Lesnice, okres Šumperk.

Pozemek se nachází v klidné části obce s přístupem po obecní komunikaci.
Na hranici pozemku se nachází inženýrské sítě – voda, kanalizace, elektřina a plyn.

Parcela je rovinatá, slunná a vhodná pro výstavbu rodinného domu.
Obec Lesnice nabízí příjemné prostředí pro bydlení s dobrou dostupností do měst Zábřeh (7 km), Šumperk (14 km) a Mohelnice (16 km).

Zajišťujeme kompletní realitní a právní servis. Doporučujeme prohlídku.

Makléř

Máte zájem o tento pozemek?

Tímto, v souladu s nařízením Evropského parlamentu a Rady (EU) 2016/679, v platném znění, prohlašuji, že mi je alespoň 16 let a uděluji tak svůj souhlas se zpracováním zadaných údajů (jméno, telefon, e-mail, ip adresa) společnosti B3 Technology, s.r.o., IČ: 07330600, se sídlem Novostavby 126/23, 435 11 Lom (správce dat), za účelem předání dotazu z tohoto formuláře Vámi vybranému inzerentovi a zpětného kontaktování mé osoby. Osobní údaje bude správce zpracovávat manuálně i automaticky přímo prostřednictvím svých zaměstnanců. Informace předané tímto formulářem budou uloženy v databázi správce maximálně po dobu 10 let. Odvolání souhlasu s uložením a zpracováním poskytnutých dat lze e-mailem na info@origo-reality.cz. V případě podezření na neoprávněné použití Vámi poskytnutých údajů máte právo předat podnět k šetření Úřadu pro ochranu osobních údajů. Více informací
Chystáte se prodat nemovitost?
Pomůžeme Vám!

Přihlášení k odběru

Nenechte si ujít nejnovější nabídky prodeje pozemků pro bydlení v Lesnici.