Prodej pozemku pro bydlení, Skoronice, 2691 m2

Skoronice

4 890 000 Kč
/za nemovitost
Hypotéka od 21 855 Kč /měs. Chci hypotéku

Parametry pozemku

AdresaSkoronice
ID27863
Lokalita objektuKlidná část obce
Plocha pozemku2691 m2
DopravaSilnice
Převod do OV

Origo partneři v Skoronicích

Popis

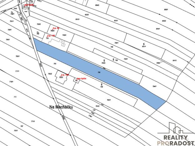
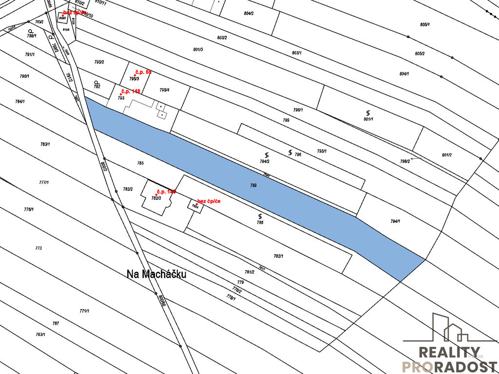
Nabízíme k prodeji pozemek určený k bydlení o celkové ploše 2691 m², nacházející se v části obce Skoronice, v okresu Hodonín. Tento pozemek se pyšní výhodnou polohou v klidné oblasti, která nabízí krásný výhled do okolní krajiny. Ideální pro ty, kdo hledají místo pro výstavbu rodinného domu v harmonii s přírodou. Šířka parcely je cca 14 m. Všechny IS jsou na hranici pozemku.

V obci Skoronice probíhá změna územního plánu, cca za 2 roky bude celá parcela v zastavěném území. Nyní je zastavitelná cca 1/2.

Pozemek je charakterizován svými hranicemi, které jsou všechny jasně vymezeny, což usnadňuje jeho případné rozdělení nebo další úpravy. Dostupnost pozemku je zajištěna silnicí, což znamená bezproblémové napojení na okolní komunikace a město Kyjov, které je v dojezdové vzdálenosti.

Tato lokalita se může pyšnit nejen malebným prostředím, ale také klidnou atmosférou, ideální pro rodinný život nebo rekreační objekt. Vzhledem k velikosti pozemku je zde dostatek prostoru pro realizaci vlastních představ a projektů, ať už se jedná o novostavbu rodinného domu, zahrady nebo jiných doplňkových staveb.

Koupě tohoto pozemku je skvělou příležitostí pro investici do nemovitosti s potenciálem. Nechte se okouzlit krásou tohoto místa a užijte si výhody bydlení v přírodě se snadným přístupem k občanské vybavenosti v blízkém okolí. Obec Skoronice sousedí s obcí Vlkoš, kde je veškerá občanská vybavenost.

V případě zájmu o prohlídku nás neváhejte kontaktovat.

Makléř

Máte zájem o tento pozemek?

Tímto, v souladu s nařízením Evropského parlamentu a Rady (EU) 2016/679, v platném znění, prohlašuji, že mi je alespoň 16 let a uděluji tak svůj souhlas se zpracováním zadaných údajů (jméno, telefon, e-mail, ip adresa) společnosti B3 Technology, s.r.o., IČ: 07330600, se sídlem Novostavby 126/23, 435 11 Lom (správce dat), za účelem předání dotazu z tohoto formuláře Vámi vybranému inzerentovi a zpětného kontaktování mé osoby. Osobní údaje bude správce zpracovávat manuálně i automaticky přímo prostřednictvím svých zaměstnanců. Informace předané tímto formulářem budou uloženy v databázi správce maximálně po dobu 10 let. Odvolání souhlasu s uložením a zpracováním poskytnutých dat lze e-mailem na info@origo-reality.cz. V případě podezření na neoprávněné použití Vámi poskytnutých údajů máte právo předat podnět k šetření Úřadu pro ochranu osobních údajů. Více informací
Chystáte se prodat nemovitost?
Pomůžeme Vám!

Přihlášení k odběru

Nenechte si ujít nejnovější nabídky prodeje pozemků pro bydlení v Skoronicích.