Prodej komerčního pozemku, Cheb, Nižnětagilská, 19626 m2

Nižnětagilská, Cheb

1 890 Kč
/za metr čtvereční
Hypotéka od 8 Kč /měs. Chci hypotéku

Parametry pozemku

AdresaNižnětagilská, Cheb
ID4
Plocha pozemku19626 m2
Elektřina400V
PlynPlynovod
OdpadVeřejná kanalizace
DopravaDálnice, Silnice
VodaVodovod

Origo partneři v Chebu

Popis

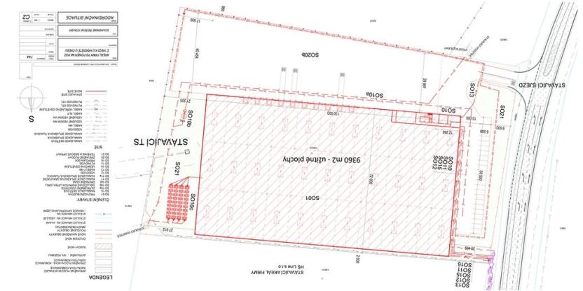
Nabízíme k prodeji komerční pozemek v průmyslové zóně města Chebu v místní části Hradiště u Chebu s vydaným Stavebním povolením na Truck centrum viz Koordinační situace v obrázcích s možností změny stavebního povolení na Logistickou halu s výškou 15 m. Pozemek je k dnešnímu dni napojen na veřejný vodovod a elektřinu, dále je povolena přípojka plynu a kanalizace, která je momentálně ve fázi přípravy realizace. Pozemek má vybudovaný sjezd. Bližší informace Vám rádi pošleme do emailu.

Makléř

Máte zájem o tento pozemek?

Tímto, v souladu s nařízením Evropského parlamentu a Rady (EU) 2016/679, v platném znění, prohlašuji, že mi je alespoň 16 let a uděluji tak svůj souhlas se zpracováním zadaných údajů (jméno, telefon, e-mail, ip adresa) společnosti B3 Technology, s.r.o., IČ: 07330600, se sídlem Novostavby 126/23, 435 11 Lom (správce dat), za účelem předání dotazu z tohoto formuláře Vámi vybranému inzerentovi a zpětného kontaktování mé osoby. Osobní údaje bude správce zpracovávat manuálně i automaticky přímo prostřednictvím svých zaměstnanců. Informace předané tímto formulářem budou uloženy v databázi správce maximálně po dobu 10 let. Odvolání souhlasu s uložením a zpracováním poskytnutých dat lze e-mailem na info@origo-reality.cz. V případě podezření na neoprávněné použití Vámi poskytnutých údajů máte právo předat podnět k šetření Úřadu pro ochranu osobních údajů. Více informací
Chystáte se prodat nemovitost?
Pomůžeme Vám!