Prodej zemědělské usedlosti, Jesenice - Boudy, 136 m2

Jesenice, Boudy

2 899 000 Kč
/za nemovitost
Hypotéka od 12 957 Kč /měs. Chci hypotéku

Parametry domu

AdresaJesenice, Boudy
ID916780
StavbaCihlová
Stav objektuPřed rekonstrukcí
VybavenoNe
Druh objektuSamostatný
Lokalita objektuKlidná část obce
VlastnictvíOsobní
Užitná plocha136 m2
Plocha pozemku855 m2

Origo partneři v Jesenici

Revize elektrických zařízení

Popis

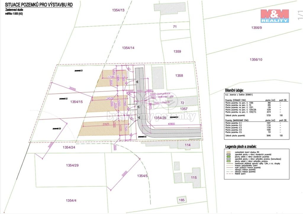
Na prodej zemědělská usedlost v původním stavu, ideální k celkové rekonstrukci dle vlastních představ. Nachází se v klidné části obce Boudy (k. ú. Jesenice u Sedlčan). Samostatně stojící cihlová stavba má jedno nadzemní podlaží, dvě místnosti a užitnou plochu 136 m². K usedlosti patří pozemek o výměře 855 m², který bude novým GP rozšířen na cca 1500 m². Nemovitost skýtá výjimečnou příležitost vytvořit si bydlení nebo chalupu v krásném venkovském prostředí. Pro více informací mě neváhejte kontaktovat.

Makléř

Máte zájem o tento dům?

Tímto, v souladu s nařízením Evropského parlamentu a Rady (EU) 2016/679, v platném znění, prohlašuji, že mi je alespoň 16 let a uděluji tak svůj souhlas se zpracováním zadaných údajů (jméno, telefon, e-mail, ip adresa) společnosti B3 Technology, s.r.o., IČ: 07330600, se sídlem Novostavby 126/23, 435 11 Lom (správce dat), za účelem předání dotazu z tohoto formuláře Vámi vybranému inzerentovi a zpětného kontaktování mé osoby. Osobní údaje bude správce zpracovávat manuálně i automaticky přímo prostřednictvím svých zaměstnanců. Informace předané tímto formulářem budou uloženy v databázi správce maximálně po dobu 10 let. Odvolání souhlasu s uložením a zpracováním poskytnutých dat lze e-mailem na info@origo-reality.cz. V případě podezření na neoprávněné použití Vámi poskytnutých údajů máte právo předat podnět k šetření Úřadu pro ochranu osobních údajů. Více informací
Chystáte se prodat nemovitost?
Pomůžeme Vám!

Přihlášení k odběru

Nenechte si ujít nejnovější nabídky prodeje zemědělských usedlostí v Jesenici (okr. Příbram).