Prodej pozemku pro bydlení, Vratimov, Na Zadkách, 1035 m2
Na Zadkách, Vratimov
                                2 700 000 Kč
/za nemovitost
                            /za nemovitost
                                                    Hypotéka od
                            12 067 Kč                            /měs.
                                                Chci hypotéku
                    
                Parametry pozemku
| Adresa | Na Zadkách, Vratimov | 
|---|---|
| Plocha pozemku | 1035 m2 | 
         Origo
        partneři v Vratimově    
    
Popis
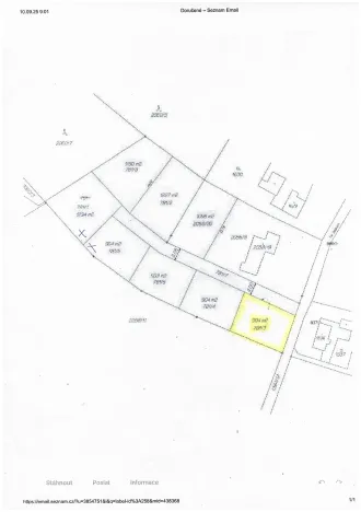
Exklusivně nabízíme k prodeji stavební pozemek pro výstavbu RD v klidné části Vratimova na ulici Na Zadkách v klidné části, poblíž lesa. Celková výměra pozemku je 1035 m2, z toho pozemek pro výstavbu rodinného domu má výměru 904 m2 a podíl na příjezdové cestě 131 m2. Sítě: o elektrickou přípojku požádáno u ČEZ, plyn zde není, vodovod u cesty, kanalizace v této lokalitě zatím není. Tvar pozemku obdélníkový, rozměr pozemku cca 25m x 36m, rovinatý, slunný, orientace pozemku (delší stranou) východ x západ. Doporučujeme prohlídku!
Přihlášení k odběru
Nenechte si ujít nejnovější nabídky prodeje pozemků pro bydlení v Vratimově.
                    Origo tipy
                
                
                                         
                                                                                     
                                                                                     
                                                                                     
                                                                                     
                                                                                     
                                                                                     
                         
         
         
         
         
         
         
        