Prodej pozemku pro bydlení, Cehnice, 1582 m2

Cehnice, Dunovice

Cena na vyžádání
/za nemovitost
volejte makléři, včetně DPH, včetně provize, včetně právního servisu
Získejte výhodnou HYPOTÉKU Chci hypotéku

Parametry pozemku

AdresaCehnice, Dunovice
ID00610
Plocha pozemku1582 m2

Origo partneři v Cehnicích

Výkup a prodej starého nábytku

Popis

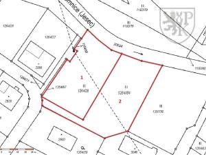
Předmětem prodeje je pozemek určený územním plánem obce k výstavbě objektů pro bydlení. Nachází se na okraji Dunovic, obce vzdálené 2 km od Cehnic a 15km od Strakonic. Výměra pozemku je cca 1 582 m2 . Přístup k pozemku je z nově vybudované zpevněné komunikace. Přípojka elektřiny je u hranice pozemku. Zajištění dodávky vody je nutno řešit vlastním vrtem, kanalizaci potom pomocí ČOV. Pozemek je vhodný zejména pro ty, kteří hledají klidné místo s dobrou dostupností plnohodnotné občanské vybavenosti. Na koupi pozemku vám pomohu zajistit i výhodný způsob pro jeho financování.

Makléř

Máte zájem o tento pozemek?

Tímto, v souladu s nařízením Evropského parlamentu a Rady (EU) 2016/679, v platném znění, prohlašuji, že mi je alespoň 16 let a uděluji tak svůj souhlas se zpracováním zadaných údajů (jméno, telefon, e-mail, ip adresa) společnosti B3 Technology, s.r.o., IČ: 07330600, se sídlem Novostavby 126/23, 435 11 Lom (správce dat), za účelem předání dotazu z tohoto formuláře Vámi vybranému inzerentovi a zpětného kontaktování mé osoby. Osobní údaje bude správce zpracovávat manuálně i automaticky přímo prostřednictvím svých zaměstnanců. Informace předané tímto formulářem budou uloženy v databázi správce maximálně po dobu 10 let. Odvolání souhlasu s uložením a zpracováním poskytnutých dat lze e-mailem na info@origo-reality.cz. V případě podezření na neoprávněné použití Vámi poskytnutých údajů máte právo předat podnět k šetření Úřadu pro ochranu osobních údajů. Více informací
Chystáte se prodat nemovitost?
Pomůžeme Vám!

Přihlášení k odběru

Nenechte si ujít nejnovější nabídky prodeje pozemků pro bydlení v Cehnicích.