Dražba rodinného domu, Praha - Hradčany, Nový Svět, 474 m2

Nový Svět, Praha, Hradčany

68 500 000 Kč
/za nemovitost
Jedná se o vyvolávací cenu
Získejte výhodnou HYPOTÉKU Chci hypotéku

Parametry domu

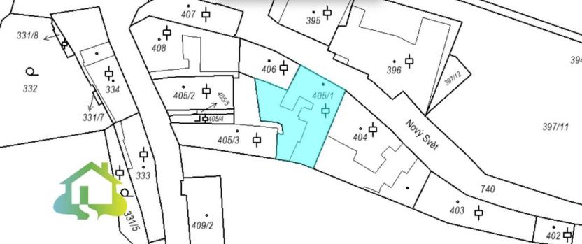
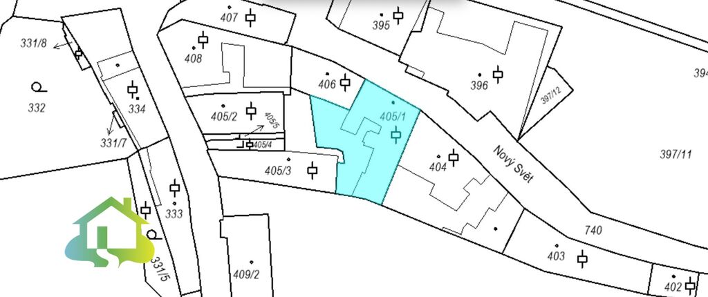
AdresaNový Svět, Praha, Hradčany
ID00805-1
StavbaCihlová
Stav objektuDobrý
Typ objektuPatrový
Druh objektuV bloku
Užitná plocha474 m2
Plocha pozemku234 m2
Třída energetické náročnostiG - Mimořádně nehospodárná
Elektřina230V
PlynPlynovod
VodaVodovod
Výtah

Origo partneři v Praze 1

Stěhovací služby

Výkup a prodej starého nábytku

Popis

Jedná se o vyvolávací cenu nemovitosti v exekuční dražbě. Nabízíme ke koupi jedinečnou historickou nemovitost v srdci Hradčan, v malebné a vyhledávané lokalitě Nový Svět 88/23. Tato lokalita, kde se snoubí genius loci, klid a atmosféra dávných časů, patří k nejromantičtějším koutům města a prodeje domů jsou zde zcela ojedinělé a zcela výjimečné.

Zděná stavba s architektonickými prvky pražské štukové tradice a střechou z pálených tašek stojí na zastavěné ploše 234 m². Celková užitná plocha všech tří nadzemních podlaží včetně sklepa činí přibližně 474 m². Dispozice domu nabízí flexibilní využití jak pro bydlení, tak pro komerční nebo reprezentační účely.

V přízemí se nachází vstupní chodba, kancelář, technická místnost a prostorná garáž (bývalý obchod). V 1.patře jsou dva apartmány o velikosti 1+1 a 2+kk, každý má svůj vlastní vchod. Ve 2.patře je apartmán o velikosti 2+1 a také mezonetový apartmán 3+kk (celkem 4 obytné jednotky).

Objekt je napojen na veškeré inženýrské sítě, vytápění zajišťuje ústřední plynový kotel. Dům má kompletní elektroinstalaci, bleskosvod a zachovalé tradiční prvky jako dřevěná okna, dveře a historické kování, které podtrhují jedinečný charakter stavby s malebným dvorkem.

Ulice Nový Svět tvoří jednu z nejklidnějších částí Hradčan. Nachází se v bezprostřední blízkosti Pražského hradu, Lorety i Hradčanského náměstí, s výbornou dostupností pěšky i MHD – tramvajové zastávky Pohořelec a Brusnice jsou v docházkové vzdálenosti do 8 minut. Parkování je zde omezeno rezidenčními zónami, což přispívá k výjimečné atmosféře této části města.

Nemovitost nabízí široké spektrum možností – od luxusního rezidenčního bydlení, přes reprezentativní sídlo či ateliér, až po investiční projekt s jedinečnou adresou. Díky poloze, architektuře a historickému kontextu jde o zcela mimořádně atraktivní nabídku i pro náročné zájemce.

Tato nemovitost je prodávána v insolvenčním řízení formou exekuční dražby.

Více informací k dražbě a možnost přihlášení do dražby poskytneme na vyžádání. Napište si o více informací.

Makléř

Máte zájem o tento dům?

Tímto, v souladu s nařízením Evropského parlamentu a Rady (EU) 2016/679, v platném znění, prohlašuji, že mi je alespoň 16 let a uděluji tak svůj souhlas se zpracováním zadaných údajů (jméno, telefon, e-mail, ip adresa) společnosti B3 Technology, s.r.o., IČ: 07330600, se sídlem Novostavby 126/23, 435 11 Lom (správce dat), za účelem předání dotazu z tohoto formuláře Vámi vybranému inzerentovi a zpětného kontaktování mé osoby. Osobní údaje bude správce zpracovávat manuálně i automaticky přímo prostřednictvím svých zaměstnanců. Informace předané tímto formulářem budou uloženy v databázi správce maximálně po dobu 10 let. Odvolání souhlasu s uložením a zpracováním poskytnutých dat lze e-mailem na info@origo-reality.cz. V případě podezření na neoprávněné použití Vámi poskytnutých údajů máte právo předat podnět k šetření Úřadu pro ochranu osobních údajů. Více informací
Chystáte se prodat nemovitost?
Pomůžeme Vám!

Přihlášení k odběru

Nenechte si ujít nejnovější nabídky dražby rodinných domů v Praze 1.