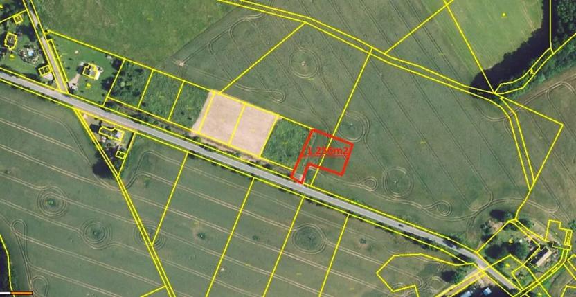
Prodej pozemku pro bydlení, Oskava, 1250 m2 (ID: 1797568)

Oskava, Mostkov

990 000 Kč
/za nemovitost
včetně DPH
Hypotéka od 4 425 Kč /měs. Chci hypotéku

Parametry pozemku

AdresaOskava, Mostkov
Plocha pozemku1250 m2

Origo partneři v Oskavě

Finance a pojištění

Finance a pojištění

Miluše Vinterová

Exkluzivní odborník pro region, který Vám rád pomůže vyřešit financování. Neváhejte jej nezávazně poptat a zjistěte možnosti, které jsou aktuálně na trhu. Vše příjemně, s ochotou a plnou odborností.

Vyberte si z dalších služeb v okrese

Popis

Pokud hledáte vhodné místo k výstavbě vašeho vysněného domu a to v bezprostředním kontaktu s přírodou, neměla by vám uniknout naše nabídka stavebního pozemku s výměrou 1.250m2. Pozemek se nachází v obci Oskava, místní části Mostkov. Rozkládá se na rozhraní Nízkého a Hrubého Jeseníku nedaleko města Šumperk (cca 20km) a specifická je především zalesněnými stráněmi kopců. Kromě rozlehlých kopcovitých krajinných krás a ducha historie má však dnes vesnice i rozvojový potenciál.

V platném územním plánu obce jsou pozemky označeny –Pozemek je v platném územním plánu obce označen jako Plochy smíšené obytné – venkovské SV. V obci je k dispozici kompletní občanská vybavenost. Na náklady vlastníka bude vypracovaný geometrický plán. Koeficient zastavění pozemku 0.40.

Přístup na parcelu je bezproblémový z krajské cesty na p.č. 769/1.

Inženýrské sítě:
Kanalizace – na hranici pozemkem
Voda – cca 400 m od hranice pozemku
Elektřina – stávající vedení v sousedním stavebním pozemku
Plyn – cca 400 m od hranice pozemku

Tohle místo je jako stvořené pro ty, co hledají klid, pohodu a krásnou přírodu, ale také pro ty, co milují aktivní odpočinek, rádi vyráží na kole nebo jen tak se toulat přírodou? A pokud vám nevadí dojíždět za prací, tak tohle pohádkové místo by Vás mohlo oslovit......
Pro více informací stačí jen napsat anebo rovnou zavolat.

cena: 990.000 Kč vč. DPH (792 Kč/m2)

Makléř

Máte zájem o tento pozemek?

Tímto, v souladu s nařízením Evropského parlamentu a Rady (EU) 2016/679, v platném znění, prohlašuji, že mi je alespoň 16 let a uděluji tak svůj souhlas se zpracováním zadaných údajů (jméno, telefon, e-mail, ip adresa) společnosti B3 Technology, s.r.o., IČ: 07330600, se sídlem Novostavby 126/23, 435 11 Lom (správce dat), za účelem předání dotazu z tohoto formuláře Vámi vybranému inzerentovi a zpětného kontaktování mé osoby. Osobní údaje bude správce zpracovávat manuálně i automaticky přímo prostřednictvím svých zaměstnanců. Informace předané tímto formulářem budou uloženy v databázi správce maximálně po dobu 10 let. Odvolání souhlasu s uložením a zpracováním poskytnutých dat lze e-mailem na info@origo-reality.cz. V případě podezření na neoprávněné použití Vámi poskytnutých údajů máte právo předat podnět k šetření Úřadu pro ochranu osobních údajů. Více informací
Chystáte se prodat nemovitost?
Pomůžeme Vám!

Přihlášení k odběru

Nenechte si ujít nejnovější nabídky prodeje pozemků pro bydlení v Oskavě.