Prodej pozemku pro bydlení, Jistebník, 1671 m2 (ID: 1651840)

Jistebník

Cena na vyžádání
/za nemovitost
cena u makléře
Získejte výhodnou HYPOTÉKU Chci hypotéku

Parametry pozemku

AdresaJistebník
ID25994
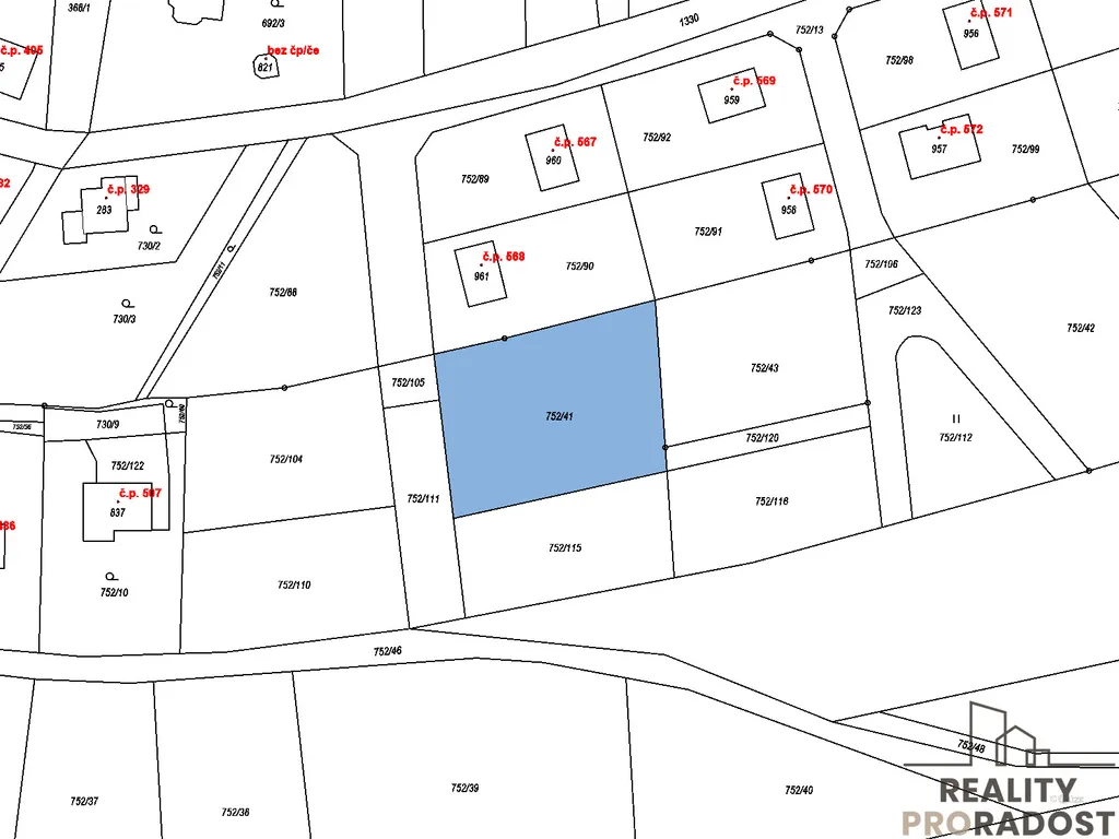
Plocha pozemku1671 m2
Převod do OV

Origo partneři v Jistebníku

Popis

Je čas začít stavět! Výjimečný pozemek pro náročné klienty!

Vítejte v Jistebníku! Vítejte v Poodří!

Nabízíme Vám velký, slunný stavební pozemek v lokalitě Jistebník, jen kousek od Ostravy, s veškerým komfortem života v klidné malebné obci s nádhernou přírodou a rybníky v okolí.

Pozemek o velikosti 1671 m2 je dle platného územního plánu určen k výstavbě rodinného domu. Elektřina je již na pozemku, vodovod vede podél pozemku. Současní majitelé mají již projekt rodinného domu ve fázi před dokončení, lze tedy buď dokončit tento projekt nebo si nechat navrhnout svoji vysněnou vilu. Velikost pozemku zaručuje dostatek soukromí pro bydlení.

Jistebník je pokladem Poodří! Podél řeky Odry se dostanete do Polanské nivy. Jistebnickou rybniční soustavu tvoří soubor dvaceti osmi menších i větších rybníků oddělených od sebe hrázemi a loukami. Romantická procházka mezi rybníky Bezruč a Křivý, lemovaná starými vrbami, je úchvatná. Přijďte se podívat do Jistebníku a domluvte si prohlídku pozemku!

Pro koho doporučujeme tento pozemek:
1. Pro podnikatele, co chtějí bydlet v blízkosti Ostravy a zároveň hledají klidné místo v malebné obci, kde mohou vyrazit do přírody, na kolo, na ryby, jezdit na koni a relaxovat po náročném pracovním dnu.
2. Pro rodinu, která hledá velký pozemek pro svůj luxusní rodinný dům, kde bude dostatek prostoru a soukromí pro
všechny a zároveň chce žít obklopena malebnou krajinou, rybníky a být kousek od velkých měst.

Makléř

Máte zájem o tento pozemek?

Tímto, v souladu s nařízením Evropského parlamentu a Rady (EU) 2016/679, v platném znění, prohlašuji, že mi je alespoň 16 let a uděluji tak svůj souhlas se zpracováním zadaných údajů (jméno, telefon, e-mail, ip adresa) společnosti B3 Technology, s.r.o., IČ: 07330600, se sídlem Novostavby 126/23, 435 11 Lom (správce dat), za účelem předání dotazu z tohoto formuláře Vámi vybranému inzerentovi a zpětného kontaktování mé osoby. Osobní údaje bude správce zpracovávat manuálně i automaticky přímo prostřednictvím svých zaměstnanců. Informace předané tímto formulářem budou uloženy v databázi správce maximálně po dobu 10 let. Odvolání souhlasu s uložením a zpracováním poskytnutých dat lze e-mailem na info@origo-reality.cz. V případě podezření na neoprávněné použití Vámi poskytnutých údajů máte právo předat podnět k šetření Úřadu pro ochranu osobních údajů. Více informací
Chystáte se prodat nemovitost?
Pomůžeme Vám!

Přihlášení k odběru

Nenechte si ujít nejnovější nabídky prodeje pozemků pro bydlení v Jistebníku.