Prodej zahrady, Vratimov - Horní Datyně, 15602 m2

Vratimov, Horní Datyně

350 Kč
/za metr čtvereční
Hypotéka od 2 Kč /měs. Chci hypotéku

Parametry pozemku

AdresaVratimov, Horní Datyně
ID00244
Plocha pozemku15602 m2

Origo partneři v Vratimově

Popis

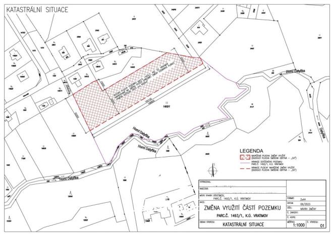
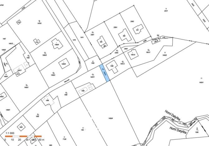
Nabízíme Vám ve výhradním zastoupení majitele k prodeji rovinatý pozemek v obci Vratimov – Horní Datyně o celkové rozloze 15 602m2.Jedná se o dvě parcely: parcela č.1493/1 o celkové výměře 15.479m2 (trvalý travní porost) a parcela č.1497/2 o celkové výměře 123m2 (zahrada).Pozemek se prodává za cenu 450kč/m2.Inženýrské sítě - voda a elektřina se nacházejí na okraji pozemku. Příjezd k pozemkům je zajištěn z obecní komunikace přes soukromou cestu se zapsáním věcného břemene jízdy a chůze a přes parcelu 1497/2 ve vlastnictví prodávajícího, kterou je možno po domluvě také koupit nebo zapsat podíl na LV. V 08.2023 byla podána žádost na stavebním odboru ve Vratimově na změnu využití částí pozemku parc.č. 1493/1, k.ú. jenž se nachází v nezastavěném území obce ve funkční ploše zemědělské – Z, Vratimov. Předmětem záměru je návrh změny využití částí pozemku parc.č. 1493/1, k.ú. Vratimov, na zastavitelnou plochu smíšenou obytnou - SO. Předmětem záměru je návrh změny využití částí pozemku parc.č. 1493/1, k.ú. Vratimov, na zastavitelnou plochu pro možnou budoucí zástavbu rodinnými domy. V předmětné ploše by mohlo vzniknout 5 stavebních pozemků plochy cca 950-960m2 pro výstavbu RD. Dopravní obsluhu lokality by zajišťovala nová účelová komunikace ze severozápadní strany pozemku, ze které by byly řešené sjezdy k jednotlivým pozemkům RD. Sjezdy k jednotlivým pozemkům jsou dostačující pro odstavení vozidel před vjezdem na jednotlivé pozemky, ale i pro možnost vyhýbání protijedoucích automobilů. Oplocení jednotlivých pozemků RD by bylo situováno tak, aby byl zajištěn prostor veřejného prostranství 8m. Do prostoru veřejného prostranství by byly umístění stavby technické a dopravní infrastruktury tj. účelová komunikace, prodloužený vodovodní řád, splašková kanalizace a podzemní vedení el. Energie NN. Pozemek je na velmi pěkném místě s dobrou dostupností do okolních měst jak autem, tak MHD. Pro bližší informace nám volejte nebo nás můžete osobně navštívit v Hlučíně na Mírovém náměstí 5/5, Hlučín. Všechny inzerované fotografie nemovitosti naleznete na naších webových stránkách.

Makléř

Máte zájem o tento pozemek?

Tímto, v souladu s nařízením Evropského parlamentu a Rady (EU) 2016/679, v platném znění, prohlašuji, že mi je alespoň 16 let a uděluji tak svůj souhlas se zpracováním zadaných údajů (jméno, telefon, e-mail, ip adresa) společnosti B3 Technology, s.r.o., IČ: 07330600, se sídlem Novostavby 126/23, 435 11 Lom (správce dat), za účelem předání dotazu z tohoto formuláře Vámi vybranému inzerentovi a zpětného kontaktování mé osoby. Osobní údaje bude správce zpracovávat manuálně i automaticky přímo prostřednictvím svých zaměstnanců. Informace předané tímto formulářem budou uloženy v databázi správce maximálně po dobu 10 let. Odvolání souhlasu s uložením a zpracováním poskytnutých dat lze e-mailem na info@origo-reality.cz. V případě podezření na neoprávněné použití Vámi poskytnutých údajů máte právo předat podnět k šetření Úřadu pro ochranu osobních údajů. Více informací
Chystáte se prodat nemovitost?
Pomůžeme Vám!

Přihlášení k odběru

Nenechte si ujít nejnovější nabídky prodeje zahrad v Vratimově.

Podobné nabídky