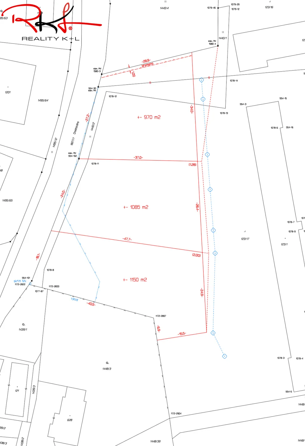
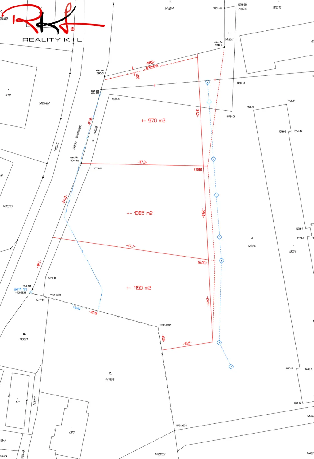
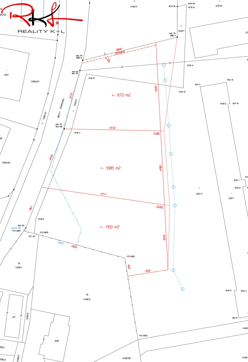
Prodej pozemku pro bydlení, Chlum u Třeboně, 1155 m2

Chlum u Třeboně

Cena na vyžádání
/za metr čtvereční
Cena k jednání.
Získejte výhodnou HYPOTÉKU Chci hypotéku

Parametry pozemku

AdresaChlum u Třeboně
ID2129
Lokalita objektuKlidná část obce
Plocha pozemku1155 m2
PlynPlynovod
OdpadVeřejná kanalizace
Převod do OV

Origo partneři v Chlumu u Třeboně

Výkup a prodej starého nábytku

Pojištění a finance

Popis

Nabízíme k prodeji investiční pozemek občanského vybavení v klidné části obce Chlum u Třeboně, okres Jindřichův Hradec. Tento pozemek o rozloze 1155 m² představuje skvělou příležitost pro výstavbu apartmánů, hotelu či penzionu. Pozemek je napojen na kanalizaci, elektřinu a plynovod, což zajišťuje veškerou potřebnou infrastrukturu pro budoucí využití. V této lokalitě se nyní připravují k prodeji další dva komerční pozemky.

Díky své poloze v blízkosti Třeboně a okolních rekreačních oblastí nabízí tento pozemek také velký komeční potenciál. Investoři ocení strategickou polohu a snadnou dostupnost k místním turistickým atrakcím a cyklostezkám.

V případě zájmu o prohlídku nás neváhejte kontaktovat.

Makléř

Máte zájem o tento pozemek?

Tímto, v souladu s nařízením Evropského parlamentu a Rady (EU) 2016/679, v platném znění, prohlašuji, že mi je alespoň 16 let a uděluji tak svůj souhlas se zpracováním zadaných údajů (jméno, telefon, e-mail, ip adresa) společnosti B3 Technology, s.r.o., IČ: 07330600, se sídlem Novostavby 126/23, 435 11 Lom (správce dat), za účelem předání dotazu z tohoto formuláře Vámi vybranému inzerentovi a zpětného kontaktování mé osoby. Osobní údaje bude správce zpracovávat manuálně i automaticky přímo prostřednictvím svých zaměstnanců. Informace předané tímto formulářem budou uloženy v databázi správce maximálně po dobu 10 let. Odvolání souhlasu s uložením a zpracováním poskytnutých dat lze e-mailem na info@origo-reality.cz. V případě podezření na neoprávněné použití Vámi poskytnutých údajů máte právo předat podnět k šetření Úřadu pro ochranu osobních údajů. Více informací
Chystáte se prodat nemovitost?
Pomůžeme Vám!
Theleadway banner

Přihlášení k odběru

Nenechte si ujít nejnovější nabídky prodeje pozemků pro bydlení v Chlumu u Třeboně.