Prodej pozemku pro bydlení, Chrudim, Na Kopci, 962 m2

Na Kopci, Chrudim IV

Cena na vyžádání
/za nemovitost
Získejte výhodnou HYPOTÉKU Chci hypotéku

Parametry pozemku

AdresaNa Kopci, Chrudim IV
ID352024
Lokalita objektuKlidná část obce
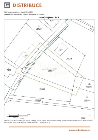
Plocha pozemku962 m2
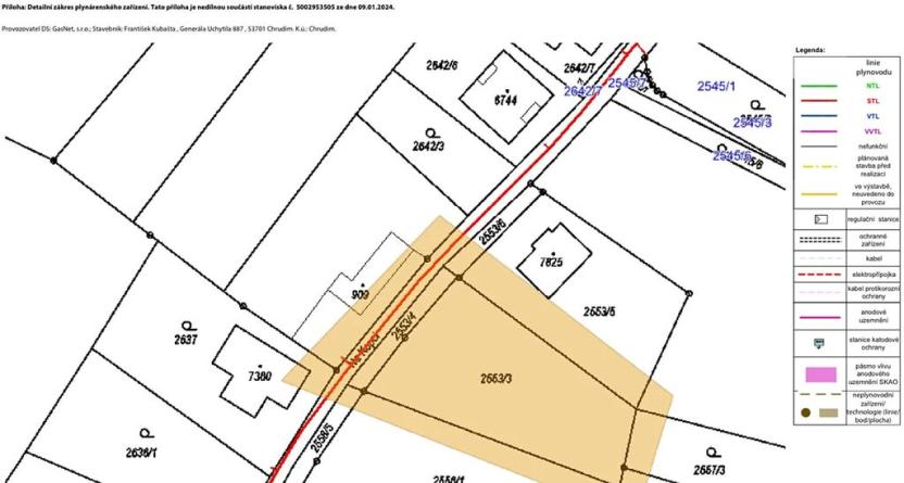
PlynPlynovod
OdpadČOV pro celý objekt
KomunikaceAsfaltová
DopravaVlak, Dálnice, Silnice, MHD, Autobus
VodaVodovod

Origo partneři v Chrudimi

Pojištění a finance

Popis

Dovoluji si vám nabídnout prodeji krásný stavební pozemek o velikosti 962 m2, který se nachází v klidné zástavbě několika málo rodinných domů v obci Chrudim, místní části Pumberka, ulice Na Kopci.

Nepatrně svažitý, spíše rovinatý pozemek nabízí mnoho možností k využití pro moderní výstavbu. Sítě na pozemku - voda, elektřina a plyn, odpadní vody budou řešeny do ČOV (v budoucnu kanalizace).

Pozemek je oplocen ze tří stran. Vjezd na pozemek z přístupové komunikace.

Dle územního plánu se jedná o BI - bydlení v rodinných domech - městské a příměstské. Jako hlavní využití je zde bydlení v rodinných domech s možným částečným nebytovým využitím, regulační plán vyhotoven.

Podmínky prostorového uspořádání, výška stavby a možné ostatní stavby včetně podmíněně přístupného využití v galerii, stejně jako náhled k existenci sítí. Telekomunikační vyjádření bez omezení.

Lokalita má slušnou dopravní dostupnost na obchvat Chrudimi a následně Pardubice, Hradec Králové či Vysoké Mýto nebo směr Vysočina. Kompletní občanská vybavenost.

Pozemek bez právních vad, regulační plán v galerii.

RK doporučuje.

Makléř

Máte zájem o tento pozemek?

Tímto, v souladu s nařízením Evropského parlamentu a Rady (EU) 2016/679, v platném znění, prohlašuji, že mi je alespoň 16 let a uděluji tak svůj souhlas se zpracováním zadaných údajů (jméno, telefon, e-mail, ip adresa) společnosti B3 Technology, s.r.o., IČ: 07330600, se sídlem Novostavby 126/23, 435 11 Lom (správce dat), za účelem předání dotazu z tohoto formuláře Vámi vybranému inzerentovi a zpětného kontaktování mé osoby. Osobní údaje bude správce zpracovávat manuálně i automaticky přímo prostřednictvím svých zaměstnanců. Informace předané tímto formulářem budou uloženy v databázi správce maximálně po dobu 10 let. Odvolání souhlasu s uložením a zpracováním poskytnutých dat lze e-mailem na info@origo-reality.cz. V případě podezření na neoprávněné použití Vámi poskytnutých údajů máte právo předat podnět k šetření Úřadu pro ochranu osobních údajů. Více informací
Chystáte se prodat nemovitost?
Pomůžeme Vám!
Theleadway banner

Přihlášení k odběru

Nenechte si ujít nejnovější nabídky prodeje pozemků pro bydlení v Chrudimi.