Prodej pozemku pro bydlení, Krnov - Pod Bezručovým vrchem, Ježnická, 608 m2

Ježnická, Pod Bezručovým vrchem

1 390 000 Kč
/za nemovitost
Hypotéka od 6 212 Kč /měs. Chci hypotéku

Parametry pozemku

AdresaJežnická, Pod Bezručovým vrchem
ID213
Plocha pozemku608 m2
Elektřina230V
PlynPlynovod
OdpadVeřejná kanalizace
KomunikaceNeupravená
DopravaVlak, Silnice, MHD, Autobus
VodaVodovod
Bezbarierový přístup

Origo partneři v Krnově

Pojištění a finance

Popis

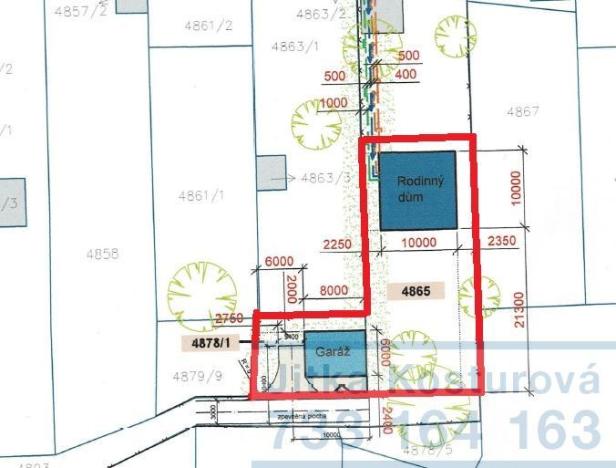
V exkluzivním zastoupení majitele nabízíme stavební pozemek ke koupi v blízkosti ulice Ježnická v Krnově v klidné lokalitě rodinných domů. Velikost pozemku je 624 m2. Sítě jsou ve vzdálenosti zhruba 50-60 m od paty pozemku. Dle navrženého situačního plánu zde lze umístit bungalov a u vjezdu na pozemek postavit garážové stání. Na pozemku se nachází stromy a keře. Je celý oplocen. Pro další informace nás neváhejte kontaktovat.

Makléř

Máte zájem o tento pozemek?

Tímto, v souladu s nařízením Evropského parlamentu a Rady (EU) 2016/679, v platném znění, prohlašuji, že mi je alespoň 16 let a uděluji tak svůj souhlas se zpracováním zadaných údajů (jméno, telefon, e-mail, ip adresa) společnosti B3 Technology, s.r.o., IČ: 07330600, se sídlem Novostavby 126/23, 435 11 Lom (správce dat), za účelem předání dotazu z tohoto formuláře Vámi vybranému inzerentovi a zpětného kontaktování mé osoby. Osobní údaje bude správce zpracovávat manuálně i automaticky přímo prostřednictvím svých zaměstnanců. Informace předané tímto formulářem budou uloženy v databázi správce maximálně po dobu 10 let. Odvolání souhlasu s uložením a zpracováním poskytnutých dat lze e-mailem na info@origo-reality.cz. V případě podezření na neoprávněné použití Vámi poskytnutých údajů máte právo předat podnět k šetření Úřadu pro ochranu osobních údajů. Více informací
Chystáte se prodat nemovitost?
Pomůžeme Vám!
Theleadway banner

Přihlášení k odběru

Nenechte si ujít nejnovější nabídky prodeje pozemků pro bydlení v Krnově.