Prodej pozemku, Praha - Chodov, 912 m2 (ID: 1394764)

Praha 4

5 900 Kč
/za metr čtvereční
Uvedená kupní cena je v plné výši včetně daně z přidané hodnoty, nákladů na právní zastoupení a poplatku za bezpečnou depozitní úschovu financí.
Hypotéka od 26 Kč /měs. Chci hypotéku

Parametry pozemku

AdresaPraha 4
ID175-NP01467
Lokalita objektuCentrum obce
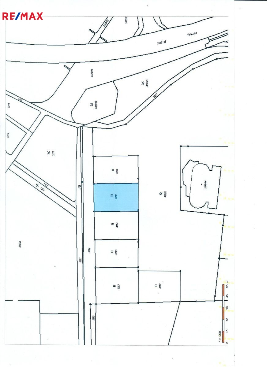
Plocha pozemku912 m2
Převod do OV

Origo partneři v Praze 4

Stěhovací služby

Výkup a prodej starého nábytku

Popis

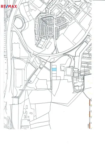
Nabízíme k prodeji výjimečný pozemek 912 m2 v k.ú. Praha – Chodov. Je veden v územním plánu tzv. plochy pro zeleň. Pozemek přímo sousedí se stanicí metra Roztyly linky ,,C, (stanice vzdálena cca 100 m) Veškeré inženýrské sítě se nachází v přilehlé komunikaci. Zajímavá investiční příležitost.

Prohlídky jsou možné kdykoliv po předchozí domluvě. Zajistíme pro vás také kompletní finanční servis, poradenství s hypotékou i pojištěním. Cena je včetně provize RK, obsahuje kompletní právní servis včetně advokátní úschovy a jednání na katastru nemovitostí. Pokud Vás nabídka zaujala, neváhejte nás kontaktovat, rádi Vás přivítáme na nezávazné prohlídce.
Prodávající si vyhrazuje právo vybrat kupujícího na základě jím zvolených kritérií.

Makléř

Máte zájem o tento pozemek?

Tímto, v souladu s nařízením Evropského parlamentu a Rady (EU) 2016/679, v platném znění, prohlašuji, že mi je alespoň 16 let a uděluji tak svůj souhlas se zpracováním zadaných údajů (jméno, telefon, e-mail, ip adresa) společnosti B3 Technology, s.r.o., IČ: 07330600, se sídlem Novostavby 126/23, 435 11 Lom (správce dat), za účelem předání dotazu z tohoto formuláře Vámi vybranému inzerentovi a zpětného kontaktování mé osoby. Osobní údaje bude správce zpracovávat manuálně i automaticky přímo prostřednictvím svých zaměstnanců. Informace předané tímto formulářem budou uloženy v databázi správce maximálně po dobu 10 let. Odvolání souhlasu s uložením a zpracováním poskytnutých dat lze e-mailem na info@origo-reality.cz. V případě podezření na neoprávněné použití Vámi poskytnutých údajů máte právo předat podnět k šetření Úřadu pro ochranu osobních údajů. Více informací
Chystáte se prodat nemovitost?
Pomůžeme Vám!

Přihlášení k odběru

Nenechte si ujít nejnovější nabídky prodeje pozemků (ostatní) v Praze 4.