Prodej pozemku pro bydlení, Chudenín - Fleky, 1978 m2

Fleky

860 Kč
/za metr čtvereční
Hypotéka od 4 Kč /měs. Chci hypotéku

Parametry pozemku

AdresaFleky
ID0898
Plocha pozemku1978 m2
Elektřina400V
VodaStudna
Bezbarierový přístup

Origo partneři v Chudeníně

Podlahy

Stěhovací služby

Popis

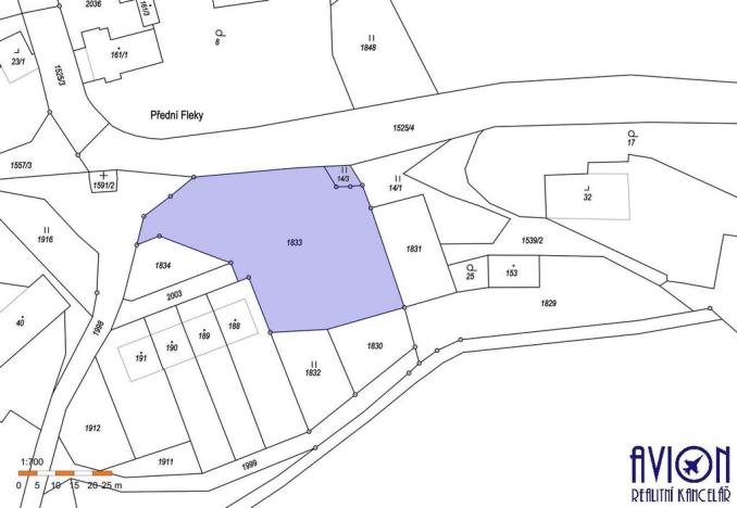
Prodej rovinatého stavebního pozemku v obci Fleky (Přední Fleky) o ploše 1978 m2, v krásné přírodě na rozhraní Šumavy a Všerubské vrchoviny.

Nabízený pozemek je slunný s otevřeným výhledem na jih. Má přibližně čtvercový tvar o délce stran přibližně 37 x 41 metrů a je srovnaný do roviny. Přístup k pozemku je z obecní komunikace.

Inženýrské sítě: elektřina (kaplička), vrt.

Mateřská a základní škola, obchod, a obecní úřad se najdete ve 4 km vzdálené obci Chudenín. Úplná občanská vybavenost se nachází v Nýrsku vzdáleném 7 km.

Krásná krajina s množstvím luk, pastvin a lesů, kde se obec nachází, nabízí velké možnosti pěších i cyklovýletů. Obcí prochází dvě cyklostezky, hranice s Německem je pouhý 1 km od obce.

Makléř

Máte zájem o tento pozemek?

Tímto, v souladu s nařízením Evropského parlamentu a Rady (EU) 2016/679, v platném znění, prohlašuji, že mi je alespoň 16 let a uděluji tak svůj souhlas se zpracováním zadaných údajů (jméno, telefon, e-mail, ip adresa) společnosti B3 Technology, s.r.o., IČ: 07330600, se sídlem Novostavby 126/23, 435 11 Lom (správce dat), za účelem předání dotazu z tohoto formuláře Vámi vybranému inzerentovi a zpětného kontaktování mé osoby. Osobní údaje bude správce zpracovávat manuálně i automaticky přímo prostřednictvím svých zaměstnanců. Informace předané tímto formulářem budou uloženy v databázi správce maximálně po dobu 10 let. Odvolání souhlasu s uložením a zpracováním poskytnutých dat lze e-mailem na info@origo-reality.cz. V případě podezření na neoprávněné použití Vámi poskytnutých údajů máte právo předat podnět k šetření Úřadu pro ochranu osobních údajů. Více informací
Chystáte se prodat nemovitost?
Pomůžeme Vám!

Přihlášení k odběru

Nenechte si ujít nejnovější nabídky prodeje pozemků pro bydlení v Chudeníně.